
Ministru kabineta rīkojums Nr. 178
Rīgā 1996.gada 22.maijā (prot. nr.28, 15.§)
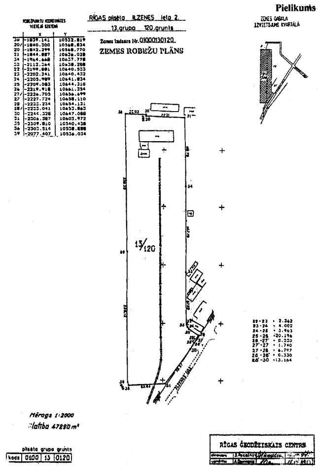
Par zemes gabalu Rīgā, Ilzenes ielā 2
1. Saskaņā ar likumu “Par zemes reformu Latvijas Republikas pilsētās” (oficiāls izdevums AP MP, 1991, 14.nr.; Latvijas Republikas Augstākās Padomes un Valdības Ziņotājs, 1993, 18./19.nr.; Latvijas Vēstnesis, 1994, 47., 145.nr.; 1995, 169.nr.; 1996, 5.nr.) pārdot zemes gabalu 47290 m2 kopplatībā Rīgā, Ilzenes ielā 2 (zemes kadastra nr.0100 013 0120) (pielikums), kas reģistrēts uz valsts vārda Finansu ministrijas personā, pašreizējam ēku īpašniekam - sabiedrībai ar ierobežotu atbildību “Gerkens un Co” (reģistrācijas apliecības nr.000306957, reģistrēta 1992.gada 31.martā) - ražošanas ēku uzturēšanai.
2. Latvijas Hipotēku un zemes bankai noslēgt līgumu par šī rīkojuma 1.punktā minētā zemes gabala pārdošanu, paredzot, ka pircējs samaksu 50 procentu apmērā veic īpašuma kompensācijas sertifikātos un 50 procentu apmērā — latos.
Ministru prezidents A.Šķēle
Finansu ministrs A.G.Kreituss