
Likumi: Šajā laidienā 3 Pēdējās nedēļas laikā 5 Visi
Saeima ir pieņēmusi un Valsts
prezidents izsludina šādu likumu:
Grozījumi likumā "Par nekustamo īpašumu atsavināšanu Latvijas Republikas valsts robežas joslas ierīkošanai uz Latvijas Republikas un Krievijas Federācijas valsts robežas"
Izdarīt likumā "Par nekustamo īpašumu atsavināšanu Latvijas Republikas valsts robežas joslas ierīkošanai uz Latvijas Republikas un Krievijas Federācijas valsts robežas" (Latvijas Vēstnesis, 2018, 41. nr.; 2019, 132. nr.) šādus grozījumus:
1. Papildināt 1.1 pantu ar 13. un 14. punktu šādā redakcijā:
"13) nekustamā īpašuma "Kumeliņi" Zaļesjes pagastā, Zilupes novadā (kadastra Nr. 6896 005 0147, reģistrēts Rēzeknes tiesas Zaļesjes pagasta zemesgrāmatas nodalījumā Nr. 100000082823), sastāvā esošā zemes gabala (kadastra apzīmējums 6896 006 0092) daļu 0,0157 hektāru platībā. Nekustamā īpašuma sastāvā esošā zemes gabala atsavināmās daļas robežas attēlotas Nekustamā īpašuma valsts kadastra informācijas sistēmā reģistrētajā zemes gabala ar kadastra apzīmējumu 6896 006 0140 zemes robežu plānā;
14) nekustamā īpašuma "Klusumiņš" Zaļesjes pagastā, Zilupes novadā (kadastra Nr. 6896 007 0149, reģistrēts Rēzeknes tiesas Zaļesjes pagasta zemesgrāmatas nodalījumā Nr. 100000094456), sastāvā esošā zemes gabala (kadastra apzīmējums 6896 006 0109) daļu 0,0825 hektāru platībā. Nekustamā īpašuma sastāvā esošā zemes gabala atsavināmās daļas robežas attēlotas šā likuma 3. pielikumā, un atsavināmās daļas robežu apraksts dots šā likuma 4. pielikumā."
2. Papildināt likumu ar 3. un 4. pielikumu šādā redakcijā:
Likuma "Par nekustamo īpašumu atsavināšanu Latvijas Republikas
valsts robežas joslas ierīkošanai uz Latvijas Republikas
un Krievijas Federācijas valsts robežas"
3. pielikums
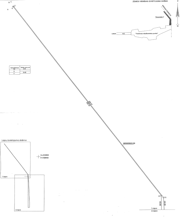
Nekustamā īpašuma "Klusumiņš" Zaļesjes pagastā, Zilupes
novadā, sastāvā esošā zemes gabala
(kadastra apzīmējums 6896 006 0109) atsavināmās daļas robežu shēma
Likuma "Par nekustamo īpašumu atsavināšanu Latvijas Republikas
valsts robežas joslas ierīkošanai uz Latvijas Republikas
un Krievijas
Federācijas valsts robežas"
4. pielikums
Nekustamā īpašuma "Klusumiņš" Zaļesjes pagastā,
Zilupes novadā, sastāvā esošā zemes gabala
(kadastra apzīmējums 6896 006 0109) atsavināmās daļas robežu apraksts
|
Nr. p. k. |
Robežposmu numurs saskaņā ar plānu |
Plāna situācijas elementi, pa kuriem noteikta robeža |
|
1. |
2–21–20–39 |
Uz austrumiem pa zemes gabala ar kadastra apzīmējumu 6896 006 0100 robežu |
|
2. |
39–1 |
Uz dienvidiem pa zemes gabala ar kadastra apzīmējumu 6896 006 0180 robežu |
|
3. |
1–14–6 |
Uz rietumiem pa sauszemes līniju, kas ir valsts robežas joslas robežas līnija |
|
4. |
6 |
Zemes gabalu ar kadastra apzīmējumiem 6896 006 0067, 6896 006 0083 un 6896 006 0109 robežu krustpunkts |
|
5. |
6–2 |
Uz ziemeļiem pa zemes gabala ar kadastra apzīmējumu 6896 006 0083 robežu |
Likums stājas spēkā nākamajā dienā pēc tā izsludināšanas.
Likums Saeimā pieņemts 2019. gada 12. septembrī.
Valsts prezidents E. Levits
Rīgā 2019. gada 2. oktobrī