
Ministru kabineta noteikumi Nr.70
Rīgā 2002.gada 19.februārī (prot. Nr.8, 5.§)
Noteikumi par Preiļu rajona Vārkavas novada izveidošanu
Izdoti saskaņā
ar Administratīvi teritoriālās
reformas likuma 5.panta trešo daļu
1. Noteikumi nosaka, ka tiek apvienoti Preiļu rajona Rožkalnu pagasts un Preiļu rajona Upmalas pagasts un izveidots Preiļu rajona Vārkavas novads. Vārkavas novada administratīvā robeža tiek noteikta saskaņā ar 1. un 2.pielikumu.
2. Valsts kase atbilstoši finansēšanas plānam pārskaita Preiļu rajona Vārkavas novada pašvaldībai vienreizēju dotāciju 7338 latu apmērā no valsts budžetā 2002.gadam Administratīvi teritoriālās reformas likuma izpildei paredzētajiem līdzekļiem.
Ministru prezidents A.Bērziņš
Īpašu uzdevumu ministrs valsts reformu lietās J.Krūmiņš
1.pielikums
Ministru kabineta
2002.gada 19.februāra
noteikumiem Nr.70
Īpašu uzdevumu ministrs valsts reformu lietās J.Krūmiņš
2.pielikums
Ministru kabineta
2002.gada 19.februāra
noteikumiem Nr.70
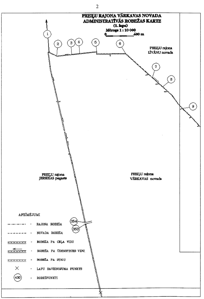
Preiļu rajona Vārkavas novada administratīvās robežas apraksts
| Robežposma numurs plānā | Robežposma galvenais virziens | Robežposma
garums (km) |
LKS-92
koordinātas X (m) Y (m) |
Pa kādiem plāna situācijas elementiem robeža noteikta | Zemes vienību nosaukumi un kadastra apzīmējumi | Pierobežnieki pēc administratīvā iedalījuma | ||
| no | līdz | administratīvās teritorijas iekšpusē | administratīvās teritorijas ārpusē | |||||
| 1 | 2 | Dienvidaustrumi | 0,1 | — | Pa grāvja vidu | Preiļu virsmežniecības Jersikas mežniecība 76640010127 |
Birzāki 76660110031 |
Līvānu novads |
| 2 | 3 | Austrumi | 0,2 | — | Pa grāvja vidu | Preiļu virsmežniecības Jersikas mežniecība 76640010127 |
Zemzari 76660110002 |
Līvānu novads |
| 3 | 4 | Austrumi | 0,1 | — | Pa grāvja vidu | Preiļu virsmežniecības Jersikas mežniecība 76640010127 |
Beitāni 76660110033 |
Līvānu novads |
| 4 | 5 | Austrumi | 0,25 | — | Pa grāvja vidu | Preiļu virsmežniecības Jersikas mežniecība 76640010127 |
Zemeņu Mājas 76660110008 |
Līvānu novads |
| 5 | 6 | Austrumi | 0,5 | — | Pa grāvja vidu | Preiļu virsmežniecības Jersikas mežniecība 76640010127 |
Atmiņas 76660110015 |
Līvānu novads |
| 6 | 7 | Dienvidaustrumi | 0,5 | — | Pa grāvja vidu | Preiļu virsmežniecības Jersikas mežniecība 76640010127 |
Pilskalns 76660110041 |
Līvānu novads |
| 7 | 8 | Dienvidaustrumi | 0,2 | — | Pa grāvja vidu | Preiļu virsmežniecības Jersikas mežniecība 76640010127 |
Brīvā valsts zeme 76660110060 |
Līvānu novads |
| 8 | 9 | Dienvidaustrumi | 0,4 | — | Pa grāvja vidu | Preiļu virsmežniecības Jersikas mežniecība 76640010127 |
Krauklenīca 76660110170 |
Līvānu novads |
| 9 | 10 | Dienvidaustrumi | 0,45 | — | Pa grāvja vidu | Preiļu virsmežniecības Jersikas mežniecība 76640010127 |
Laimdota 76660110067 |
Līvānu novads |
| 10 | 11 | Dienvidaustrumi | 0,2 | — | Pa grāvja vidu | Preiļu virsmežniecības Jersikas mežniecība 76640010127 |
Vanadziņi 76660110020 |
Līvānu novads |
| 11 | 12 | Ziemeļaustrumi | 0,25 | — | Pa grāvja vidu | Malduguns 76640010235 |
Vanadziņi 76660110020 |
Līvānu novads |
| 12 | 13 | Ziemeļaustrumi | 0,25 | — | Pa grāvja vidu | Malduguns 76640010234 |
Ieviņas 76660110007 |
Līvānu novads |
| 13 | 14 | Dienvidaustrumi | 0,2 | — | Pa grāvja vidu | Malduguns 76640010234 |
Dzilna 76660110069 |
Līvānu novads |
| 14 | 15 | Dienvidaustrumi | 0,2 | — | Pa grāvja vidu | Malduguns 76640010234 |
Rudeņi 76660110070 |
Līvānu novads |
| 15 | 16 | Dienvidaustrumi | 0,2 | — | Pa grāvja vidu | Malduguns 76640010070 |
Rudeņi 76660110070 |
Līvānu novads |
| 16 | 17 | Dienvidaustrumi | 0,1 | — | Pa grāvja vidu | Krauklīši 76640010059 |
Rudeņi 76660110070 |
Līvānu novads |
| 17 | 18 | Dienvidaustrumi | 0,1 | — | Pa grāvja vidu | Krauklīši 76640010059 |
Rudeņi 76660110089 |
Līvānu novads |
| 18 | 19 | Austrumi | 0,25 | — | Pa grāvja vidu | Staņislava Neicenieka
saimniecība 76640010013 |
Rudeņi 76660110089 |
Līvānu novads |
| 19 | 20 | Ziemeļaustrumi Austrumi |
0,2 | — | Pa grāvja vidu | Rāmavas 76640010071 |
Rudeņi 76660110089 |
Līvānu novads |
| 20 | 21 | Dienvidaustrumi | 0,15 | — | Pa grāvja vidu | Rāmavas 76640010071 |
Ciekuriņi 76660110071 |
Līvānu novads |
| 21 | 22 | Ziemeļaustrumi | 0,03 | — | Pa grāvja vidu | Laimdotas 76640010022 |
Ciekuriņi 76660110071 |
Līvānu novads |
| 22 | 23 | Dienvidaustrumi Ziemeļaustrumi |
0,3 | — | Pa grāvja vidu | Laimdotas 76640010022 |
Brīvā valsts zeme 76660110193 |
Līvānu novads |
| 23 | 24 | Ziemeļaustrumi | 0,05 | — | Pa grāvja vidu | Laimdotas 76640010022 |
Ciekuriņi 76660110071 |
Līvānu novads |
| 24 | 25 | Ziemeļaustrumi | 0,02 | — | Pa sauszemes līniju | Valsts 2.šķiras autoceļš
Špoģi–Arendole–Upmala–Sīļi 76640010107 |
Valsts 2.šķiras autoceļš
Špoģi–Arendole–Upmala–Sīļi 76660110185 |
Līvānu novads |
| 25 | 26 | Ziemeļaustrumi | 0,15 | — | Pa grāvja vidu | Meinarda Mundena
saimniecība 76640010038 |
Rožupes pagasta padome 76660110072 |
Līvānu novads |
| 26 | 27 | Ziemeļaustrumi | 0,1 | — | Pa grāvja vidu | Rāmavas 76640010014 |
Rožupes pagasta padome 76660110072 |
Līvānu novads |
| 27 | 28 | Ziemeļaustrumi Ziemeļrietumi Ziemeļaustrumi |
1,25 | — | Pa grāvja viduslīnijas turpinājumu līdz Dubnas upes vidum, pa tās vidu līdz sauszemes līnijas turpinājuma un Dubnas upes viduslīnijas krustpunktam | Valstij piekrītošā zeme,
publiskie ūdeņi — Dubna 76900010261 |
Valstij piekrītošā zeme,
publiskie ūdeņi — Dubna 76660110187 |
Līvānu novads |
| 28 | 29 | Ziemeļaustrumi | 0,06 | — | Pa Dubnas upes vidu | Upeskalniņš 76900010219 |
Valstij piekrītošā zeme,
publiskie ūdeņi — Dubna 76660110187 |
Līvānu novads |
| 29 | 30 | Ziemeļaustrumi | 0,71 | — | Pa Dubnas upes vidu | Valstij piekrītošā zeme,
publiskie ūdeņi — Dubna 76900010262 |
Valstij piekrītošā zeme,
publiskie ūdeņi — Dubna 76660110187 |
Līvānu novads |
| 30 | 31 | Ziemeļaustrumi | 0,1 | — | Pa Dubnas upes vidu | Strīdupe 76900010250 |
Valstij piekrītošā zeme,
publiskie ūdeņi — Dubna 76660110187 |
Līvānu novads |
| 31 | 32 | Ziemeļrietumi | 0,15 | — | Pa Dubnas upes vidu | Upeskalniņš 76900010249 |
Valstij piekrītošā zeme,
publiskie ūdeņi — Dubna 76660110187 |
Līvānu novads |
| 32 | 33 | Ziemeļrietumi | 0,23 | — | Pa Dubnas upes vidu | Bitītes 76900010248 |
Valstij piekrītošā zeme,
publiskie ūdeņi — Dubna 76660110187 |
Līvānu novads |
| 33 | 34 | Ziemeļrietumi Ziemeļaustrumi |
0,34 | — | Pa Dubnas upes vidu | Cepurnieki 76900010246 |
Valstij piekrītošā zeme,
publiskie ūdeņi — Dubna 76660110187 |
Līvānu novads |
| 34 | 35 | Ziemeļaustrumi | 0,04 | — | Pa Dubnas upes vidu | Šultāni 76900010313 |
Valstij piekrītošā zeme,
publiskie ūdeņi — Dubna 76660110187 |
Līvānu novads |
| 35 | 36 | Ziemeļrietumi Ziemeļaustrumi |
0,38 | — | Pa Dubnas upes vidu | Lejas Šultāni 76900010315 |
Valstij piekrītošā zeme,
publiskie ūdeņi — Dubna 76660110187 |
Līvānu novads |
| 36 | 37 | Ziemeļaustrumi | 0,13 | — | Pa Dubnas upes vidu | Šultāni 76900010314 |
Valstij piekrītošā zeme,
publiskie ūdeņi — Dubna 76660110187 |
Līvānu novads |
| 37 | 38 | Ziemeļaustrumi | 0,2 | — | Pa Dubnas upes vidu | Cepurnieki 76900010321 |
Valstij piekrītošā zeme,
publiskie ūdeņi — Dubna 76660110187 |
Līvānu novads |
| 38 | 39 | Ziemeļaustrumi Ziemeļi |
0,57 | — | Pa Dubnas upes vidu | Valstij piekrītošā zeme,
publiskie ūdeņi — Dubna 76900010259 |
Valstij piekrītošā zeme,
publiskie ūdeņi — Dubna 76660110187 |
Līvānu novads |
| 39 | 40 | Ziemeļrietumi | 0,15 | — | Pa Dubnas upes vidu | Liepnieki 76900010252 |
Valstij piekrītošā zeme,
publiskie ūdeņi — Dubna 76660110187 |
Līvānu novads |
| 40 | 41 | Ziemeļrietumi | 0,47 | — | Pa Dubnas upes vidu | Valstij piekrītošā zeme,
publiskie ūdeņi — Dubna 76900010247 |
Valstij piekrītošā zeme,
publiskie ūdeņi — Dubna 76660110187 |
Līvānu novads |
| 41 | 42 | Ziemeļrietumi | 0,01 | — | No Dubnas upes vidus līdz grāvja ietekas Dubnā vidum | Valstij piekrītošā zeme,
publiskie ūdeņi — Dubna 76900010247 |
Valstij piekrītošā zeme,
publiskie ūdeņi — Dubna 76660110187 |
Līvānu novads |
| 42 | 43 | Ziemeļaustrumi | 0,07 | — | Pa grāvja vidu | Ābeļzieds 76900010257 |
Dubnas Krasts 76660100308 |
Līvānu novads |
| 43 | 44 | Ziemeļaustrumi | 0,28 | — | Pa grāvja vidu un sauszemes līniju | Ābeļzieds 76900010257 |
Robežnieki 76660100312 |
Līvānu novads |
| 44 | 45 | Ziemeļaustrumi | 0,02 | — | Pa sauszemes līniju | Valsts 2.šķiras autoceļš
Līksna–Kalupe–Upmala–Rožupe 76900010279 |
Valsts 2.šķiras autoceļš Līksna–Kalupe–Upmala–Rožupe 76660100516 |
Līvānu novads |
| 45 | 46 | Ziemeļaustrumi | 0,4 | — | Pa sauszemes līniju | Robežnieki 76900010258 |
Robežnieki 76660100292 |
Līvānu novads |
| 46 | 47 | Ziemeļaustrumi | 0,06 | — | Pa sauszemes līniju | Rožvidi 76900010091 |
Robežnieki 76660100017 |
Līvānu novads |
| 47 | 48 | Ziemeļaustrumi | 0,22 | — | Pa sauszemes līniju un grāvja vidu | Rožvidi 76900010091 |
Mariannas Gulbinskas
saimniecība 76660100017 |
Līvānu novads |
| 48 | 49 | Ziemeļaustrumi | 0,07 | — | Pa grāvja vidu | Rožvidi 76900010091 |
Mariannas Gulbinskas
saimniecība 76660100340 |
Līvānu novads |
| 49 | 50 | Ziemeļaustrumi | 0,3 | — | Pa grāvja vidu | Vinduļi 76900010299 |
Velkmes 76660100500 |
Līvānu novads |
| 50 | 51 | Ziemeļaustrumi | 0,2 | — | Pa grāvja vidu | Vinduļi 76900010299 |
Bārbala 76660100291 |
Līvānu novads |
| 51 | 52 | Ziemeļaustrumi | 0,04 | — | Pa grāvja viduslīniju un tās turpinājumu līdz Feimankas upes vidum | Brīvā valsts zeme 76900010335 |
Bārbala 76660100291 |
Līvānu novads |
| 52 | 53 | Dienvidaustrumi | 0,06 | — | Pa Feimankas upes vidu | Brīvā valsts zeme 76900010335 |
Irēnas Dzenes saimniecība 76660100216 |
Līvānu novads |
| 53 | 54 | Dienvidaustrumi | 0,27 | — | Pa Feimankas upes vidu | Brīvā valsts zeme 76900010335 |
Dižupītes 76660100214 |
Līvānu novads |
| 54 | 55 | Dienvidrietumi Dienvidaustrumi |
0,16 | — | Pa Feimankas upes vidu | Brīvā valsts zeme 76900010335 |
Daksti 76660100211 |
Līvānu novads |
| 55 | 56 | Dienvidaustrumi | 0,22 | — | Pa Feimankas upes vidu | Vinduļi 76900010290 |
Kazuļi 76660100095 |
Līvānu novads |
| 56 | 57 | Dienvidaustrumi Dienvidrietumi |
0,32 | — | Pa Feimankas upes vidu | Kalēji 76900010324 |
Kazuļi 76660100095 |
Līvānu novads |
| 57 | 58 | Dienvidaustrumi | 0,08 | — | Pa Feimankas upes vidu | Vāverītes 76900010161 |
Kazuļi 76660100095 |
Līvānu novads |
| 58 | 59 | Dienvidaustrumi | 0,25 | — | Pa Feimankas upes vidu | Vāverītes 76900010161 |
Mucenieki 76820030125 |
Preiļu rajona Sutru pagasts |
| 59 | 60 | Dienvidaustrumi | 0,1 | — | Pa Feimankas upes vidu | Vāverītes 76900010161 |
Viktorija 76820030086 |
Preiļu rajona Sutru pagasts |
| 60 | 61 | Dienvidaustrumi | 0,12 | — | Pa Feimankas upes vidu | Vāverītes 76900010161 |
Viktorija 76820030126 |
Preiļu rajona Sutru pagasts |
| 61 | 62 | Dienvidaustrumi Dienvidrietumi |
0,33 | — | Pa Feimankas upes vidu | Kļavinski 76900010068 |
Andrejdriva 76820030025 |
Preiļu rajona Sutru pagasts |
| 62 | 63 | Dienvidaustrumi | 0,01 | — | Pa Feimankas upes vidu līdz sauszemes līnijas sākumam | Tiltiņi 76900010107 |
Andrejdriva 76820030025 |
Preiļu rajona Sutru pagasts |
| 63 | 64 | Dienvidrietumi | 0,47 | — | Pa sauszemes līniju | Tiltiņi 76900010107 |
Tiltiņi 76820030123 |
Preiļu rajona Sutru pagasts |
| 64 | 65 | Dienvidrietumi | 0,16 | — | Pa sauszemes līniju | Aleksandra Vilcāna
saimniecība 76900010361 |
Jāņa Vilcāna saimniecība 76820030144 |
Preiļu rajona Sutru pagasts |
| 65 | 66 | Dienvidrietumi | 0,12 | — | Pa sauszemes līniju | Aleksandra Vilcāna
saimniecība 76900010361 |
Jāzepa Vilcāna saimniecība 76820030156 |
Preiļu rajona Sutru pagasts |
| 66 | 67 | Dienvidrietumi | 0,03 | — | Pa sauszemes līniju | Aleksandra Vilcāna
saimniecība 76900010361 |
Ivara Vilcāna saimniecība 76820030157 |
Preiļu rajona Sutru pagasts |
| 67 | 68 | Dienvidi | 0,08 | — | Pa sauszemes līniju | Dīķīši 76900100038 |
Ivara Vilcāna saimniecība 76820030157 |
Preiļu rajona Sutru pagasts |
| 68 | 69 | Dienvidi | 0,07 | — | Pa sauszemes līniju | Dīķīši 76900100038 |
Teklas Kursītes
saimniecība 76820030154 |
Preiļu rajona Sutru pagasts |
| 69 | 70 | Dienvidi | 0,05 | — | Pa sauszemes līniju | Vējiņi 76900010164 |
Teklas Kursītes
saimniecība 76820030154 |
Preiļu rajona Sutru pagasts |
| 70 | 71 | Dienvidi | 0,1 | — | Pa sauszemes līniju un grāvja vidu | Vējiņi 76900010164 |
Somapļava 76820030158 |
Preiļu rajona Sutru pagasts |
| 71 | 72 | Dienvidaustrumi | 0,07 | — | Pa grāvja vidu | Mežmales 76900010046 |
Somapļava 76820030158 |
Preiļu rajona Sutru pagasts |
| 72 | 73 | Dienvidaustrumi Dienvidrietumi |
1,17 | — | Pa grāvja vidu un | Andrejdriva 76900010057 |
Andrejdriva 76820030026 |
Preiļu rajona Sutru pagasts |
| 73 | 74 | Dienvidaustrumi | 0,14 | — | Pa sauszemes līniju | Tiltiņi 76900010108 |
Tiltiņi 76820030124 |
Preiļu rajona Sutru pagasts |
| 74 | 75 | Dienvidaustrumi | 0,14 | — | Pa sauszemes līniju | Jāņa Vilcāna saimniecība 76900010180 |
Jāņa Vilcāna saimniecība 76820030178 |
Preiļu rajona Sutru pagasts |
| 75 | 76 | Dienvidaustrumi | 0,17 | — | Pa sauszemes līniju | Leona Vilcāna saimniecība 76900010181 |
Zelmeņi 76820030034 |
Preiļu rajona Sutru pagasts |
| 76 | 77 | Dienvidi | 0,09 | — | Pa grāvja vidu | Smilšupe 76900010171 |
Raunieši 76820030111 |
Preiļu rajona Sutru pagasts |
| 77 | 78 | Dienvidrietumi | 0,17 | — | Pa grāvja vidu | Smilšupe 76900010171 |
Arkliņi 76820030179 |
Preiļu rajona Sutru pagasts |
| 78 | 79 | Dienvidrietumi | 0,15 | — | Pa grāvja vidu | Smilšupe 76900010171 |
Purenes 76820030040 |
Preiļu rajona Sutru pagasts |
| 79 | 80 | Dienvidrietumi | 0,23 | — | Pa grāvja vidu | Dubnas 76900010079 |
Purenes 76820030040 |
Preiļu rajona Sutru pagasts |
| 80 | 81 | Dienvidi | 0,19 | — | Pa grāvja vidu | Dubnas 76900010079 |
Vitālija Rusiņa
saimniecība 76820030185 |
Preiļu rajona Sutru pagasts |
| 81 | 82 | Dienvidi Austrumi |
0,3 | — | Pa grāvja vidu | Saules 76900010127 |
Vitālija Rusiņa
saimniecība 76820030185 |
Preiļu rajona Sutru pagasts |
| 82 | 83 | Dienvidaustrumi | 0,2 | — | Pa grāvja vidu | Zvirgzdiņi 76900010272 |
Vitālija Rusiņa
saimniecība 76820030185 |
Preiļu rajona Sutru pagasts |
| 83 | 84 | Dienvidaustrumi | 0,12 | — | Pa grāvja vidu | Eži 76900010332 |
Vitālija Rusiņa
saimniecība 76820030185 |
Preiļu rajona Sutru pagasts |
| 84 | 85 | Dienvidaustrumi | 0,1 | — | Pa grāvja vidu | Eži 76900010377 |
Vitālija Rusiņa
saimniecība 76820030185 |
Preiļu rajona Sutru pagasts |
| 85 | 86 | Dienvidaustrumi | 0,23 | — | Pa grāvja vidu | Eži 76900010377 |
Medņu sala 76820030035 |
Preiļu rajona Sutru pagasts |
| 86 | 87 | Dienvidaustrumi | 0,1 | — | Pa grāvja vidu | Aizpurieši 76900010179 |
Medņu sala 76820030035 |
Preiļu rajona Sutru pagasts |
| 87 | 88 | Dienvidaustrumi | 0,17 | — | Pa grāvja vidu | Aizpurieši 76900010179 |
Nikolaja Bistrova
saimniecība 76820030282 |
Preiļu rajona Sutru pagasts |
| 88 | 89 | Dienvidaustrumi | 0,02 | — | Pa grāvja vidu | Līksnas 76900020002 |
Nikolaja Bistrova
saimniecība 76820030282 |
Preiļu rajona Sutru pagasts |
| 89 | 90 | Dienvidaustrumi | 0,04 | — | Pa grāvja vidu | Līksnas 76900020002 |
Ābeļu Mājas 76820030252 |
Preiļu rajona Sutru pagasts |
| 90 | 91 | Dienvidaustrumi | 0,09 | — | Pa grāvja vidu | Līksnas 76900020002 |
Aizalksne 76820030092 |
Preiļu rajona Sutru pagasts |
| 91 | 92 | Dienvidaustrumi | 0,24 | — | Pa grāvja vidu | Namdari 76900020062 |
Aizalksne 76820030092 |
Preiļu rajona Sutru pagasts |
| 92 | 93 | Ziemeļaustrumi | 0,22 | — | Pa sauszemes līniju | Ķemeri 76900020055 |
Aizalksne 76820030092 |
Preiļu rajona Sutru pagasts |
| 93 | 94 | Ziemeļaustrumi | 0,33 | — | Pa sauszemes līniju | Krēslu Mājas 76900020033 |
Stradu sala 76820030067 |
Preiļu rajona Sutru pagasts |
| 94 | 95 | Ziemeļaustrumi | 0,16 | — | Pa sauszemes līniju | Aizpurieši 76900020125 |
Stradu sala 76820030067 |
Preiļu rajona Sutru pagasts |
| 95 | 96 | Ziemeļaustrumi | 0,11 | — | Pa grāvja vidu | Aizpurieši 76900020125 |
Zaļā Pļava 76820030263 |
Preiļu rajona Sutru pagasts |
| 96 | 97 | Ziemeļaustrumi | 0,32 | — | Pa grāvja vidu un sauszemes līniju | Brīvā valsts zeme 76900020196 |
Zaļā Pļava 76820030263 |
Preiļu rajona Sutru pagasts |
| 97 | 98 | Austrumi | 0,17 | — | Pa sauszemes līniju | Brīvā valsts zeme 76900020196 |
Valentīna Kursīša
saimniecība 76820030202 |
Preiļu rajona Sutru pagasts |
| 98 | 99 | Ziemeļaustrumi | 0,14 | — | Pa sauszemes līniju | Brīvā valsts zeme 76900020196 |
Antona Stupāna saimniecība 76820030205 |
Preiļu rajona Sutru pagasts |
| 99 | 100 | Dienvidaustrumi | 0,52 | — | Pa sauszemes līniju | Salniņas 76900020020 |
Rīts 76820030244 |
Preiļu rajona Sutru pagasts |
| 100 | 101 | Dienvidaustrumi | 0,01 | — | Pa sauszemes līniju | Vārkavas novada dome 76900020175 |
Rīts 76820030244 |
Preiļu rajona Sutru pagasts |
| 101 | 102 | Dienvidaustrumi | 0,01 | — | Pa sauszemes līniju | Vārkavas novada dome 76900020175 |
Rīts 76820030242 |
Preiļu rajona Sutru pagasts |
| 102 | 103 | Dienvidaustrumi | 0,22 | — | Pa sauszemes līniju | Melnā zeme 76900020091 |
Rīts 76820030242 |
Preiļu rajona Sutru pagasts |
| 103 | 104 | Dienvidaustrumi | 0,04 | — | Pa sauszemes līniju | Melnā zeme 76900020091 |
Sandras Bucenieces
saimniecība 76820030243 |
Preiļu rajona Sutru pagasts |
| 104 | 105 | Dienvidaustrumi | 0,34 | — | Pa sauszemes līniju | Saliņas 76900020190 |
Sandras Bucenieces
saimniecība 76820030243 |
Preiļu rajona Sutru pagasts |
| 105 | 106 | Ziemeļaustrumi | 0,44 | — | Pa sauszemes līniju | Preiļu virsmežniecības Preiļu
mežniecība 76900030008 |
Sandras Bucenieces
saimniecība 76820030243 |
Preiļu rajona Sutru pagasts |
| 106 | 107 | Ziemeļaustrumi | 0,4 | — | Pa sauszemes līniju | Bērzupi 76900030013 |
Bērzupi 76820030241 |
Preiļu rajona Sutru pagasts |
| 107 | 108 | Ziemeļaustrumi | 0,36 | — | Pa sauszemes līniju | Preiļu virsmežniecības Preiļu
mežniecība 76900030008 |
Purmaļi 76820030235 |
Preiļu rajona Sutru pagasts |
| 108 | 109 | Ziemeļaustrumi | 0,33 | — | Pa sauszemes līniju | Preiļu virsmežniecības Preiļu
mežniecība 76900030008 |
Āriņi 76820030236 |
Preiļu rajona Sutru pagasts |
| 109 | 110 | Dienvidaustrumi | 0,2 | — | Pa sauszemes līniju | Preiļu virsmežniecības Preiļu
mežniecība 76900030008 |
Vārpas 76820040041 |
Preiļu rajona Sutru pagasts |
| 110 | 111 | Dienvidaustrumi | 0,13 | — | Pa sauszemes līniju | Preiļu virsmežniecības Preiļu
mežniecība 76900030008 |
Braslas 76820040039 |
Preiļu rajona Sutru pagasts |
| 111 | 112 | Dienvidaustrumi | 0,21 | — | Pa sauszemes līniju | Preiļu virsmežniecības Preiļu
mežniecība 76900030008 |
Pūrupes 76820040045 |
Preiļu rajona Sutru pagasts |
| 112 | 113 | Dienvidaustrumi | 0,29 | — | Pa sauszemes līniju | Preiļu virsmežniecības Preiļu
mežniecība 76900030008 |
Pērles 76820040025 |
Preiļu rajona Sutru pagasts |
| 113 | 114 | Dienvidaustrumi | 0,12 | — | Pa sauszemes līniju | Preiļu virsmežniecības Preiļu
mežniecība 76900030008 |
Sausneļu Mājas 76820040034 |
Preiļu rajona Sutru pagasts |
| 114 | 115 | Dienvidaustrumi | 0,53 | — | Pa sauszemes līniju | Preiļu virsmežniecības Preiļu
mežniecība 76900030008 |
Santīmi 76820040021 |
Preiļu rajona Sutru pagasts |
| 115 | 116 | Dienvidaustrumi | 0,27 | — | Pa sauszemes līniju | Preiļu virsmežniecības Preiļu
mežniecība 76900030008 |
Izdegas 76820040002 |
Preiļu rajona Sutru pagasts |
| 116 | 117 | Dienvidaustrumi | 0,38 | — | Pa sauszemes līniju | Preiļu virsmežniecības Preiļu
mežniecība 76900030008 |
Mežvidi 76820040011 |
Preiļu rajona Sutru pagasts |
| 117 | 118 | Dienvidaustrumi | 1,07 | — | Pa sauszemes līniju | Preiļu virsmežniecības Preiļu
mežniecība 76900030008 |
Mežadruva 76820040067 |
Preiļu rajona Sutru pagasts |
| 118 | 119 | Dienvidaustrumi | 0,11 | — | Pa sauszemes līniju | Preiļu virsmežniecības Preiļu
mežniecība 76900030008 |
Kadiķi 76820040079 |
Preiļu rajona Sutru pagasts |
| 119 | 120 | Dienvidaustrumi | 0,12 | — | Pa sauszemes līniju | Preiļu virsmežniecības Preiļu
mežniecība 76900030008 |
Jāņa Magdaļenoka
saimniecība 76820040080 |
Preiļu rajona Sutru pagasts |
| 120 | 121 | Dienvidaustrumi | 0,59 | — | Pa sauszemes līniju | Brencēni 76900030017 |
Brencēni 76820040083 |
Preiļu rajona Sutru pagasts |
| 121 | 122 | Dienvidaustrumi | 0,12 | — | Pa sauszemes līniju | Brencēni 76900030017 |
Kalna Sondori 76820040081 |
Preiļu rajona Sutru pagasts |
| 122 | 123 | Ziemeļaustrumi | 0,29 | — | Pa sauszemes līniju | Vimbas 76900030020 |
Kalna Sondori 76820040081 |
Preiļu rajona Sutru pagasts |
| 123 | 124 | Ziemeļaustrumi | 0,15 | — | Pa sauszemes līniju | Vimbas 76900030020 |
Vilciņmājas 76820040082 |
Preiļu rajona Sutru pagasts |
| 124 | 125 | Dienvidaustrumi | 0,07 | — | Pa sauszemes līniju | Vimbas 76900030020 |
Mārsili 76820050262 |
Preiļu rajona Sutru pagasts |
| 125 | 126 | Dienvidaustrumi | 0,05 | — | Pa sauszemes līniju | Preiļu virsmežniecības Preiļu
mežniecība 76900030008 |
Mārsili 76820050262 |
Preiļu rajona Sutru pagasts |
| 126 | 127 | Dienvidaustrumi | 0,61 | — | Pa sauszemes līniju | Preiļu virsmežniecības Preiļu
mežniecība 76900030008 |
Pūtkas 76820050176 |
Preiļu rajona Sutru pagasts |
| 127 | 128 | Dienvidrietumi | 0,08 | — | Pa sauszemes līniju | Preiļu virsmežniecības Preiļu
mežniecība 76900030008 |
Lazdiņas 76940010175 |
Preiļu rajona Vārkavas pagasts |
| 128 | 129 | Dienvidrietumi | 0,23 | — | Pa sauszemes līniju | Preiļu virsmežniecības Preiļu
mežniecība 76900030008 |
Pakalni 76940010112 |
Preiļu rajona Vārkavas pagasts |
| 129 | 130 | Dienvidrietumi Dienvidaustrumi |
0,3 | — | Pa sauszemes līniju | Preiļu virsmežniecības Preiļu
mežniecība 76900030008 |
Margrietiņas 76940010097 |
Preiļu rajona Vārkavas pagasts |
| 130 | 131 | Dienvidaustrumi | 0,51 | — | Pa sauszemes līniju | Preiļu virsmežniecības Preiļu
mežniecība 76900030008 |
Tatjanas Mežs 76940010096 |
Preiļu rajona Vārkavas pagasts |
| 131 | 132 | Dienvidrietumi | 0,3 | — | Pa sauszemes līniju | Elkšņi 76900030003 |
Maksimovi 76940010190 |
Preiļu rajona Vārkavas pagasts |
| 132 | 133 | Dienvidrietumi | 0,1 | — | Pa sauszemes līniju | Sudrabiņi 76900030004 |
Kalnziedi 76940010065 |
Preiļu rajona Vārkavas pagasts |
| 133 | 134 | Dienvidrietumi | 0,09 | — | Pa sauszemes līniju | Pūrmalas 76900030010 |
Kalnziedi 76940010065 |
Preiļu rajona Vārkavas pagasts |
| 134 | 135 | Dienvidrietumi | 0,1 | — | Pa sauszemes līniju | Kalniņi-2 76900030001 |
Kalnziedi 76940010065 |
Preiļu rajona Vārkavas pagasts |
| 135 | 136 | Dienvidrietumi | 0,11 | — | Pa sauszemes līniju | Liepas Druva 76900030002 |
Kalnziedi 76940010065 |
Preiļu rajona Vārkavas pagasts |
| 136 | 137 | Dienvidrietumi | 0,07 | — | Pa sauszemes līniju | Liepas Druva 76900030002 |
Lakstīgalas 76940010009 |
Preiļu rajona Vārkavas pagasts |
| 137 | 138 | Dienvidrietumi | 0,12 | — | Pa sauszemes līniju | Liepas Druva 76900030002 |
Jezupova 76940010072 |
Preiļu rajona Vārkavas pagasts |
| 138 | 139 | Dienvidrietumi | 0,03 | — | Pa sauszemes līniju | Vecozoli 1 76900030007 |
Jezupova 76940010072 |
Preiļu rajona Vārkavas pagasts |
| 139 | 140 | Dienvidrietumi | 0,17 | — | Pa sauszemes līniju | Vecozoli 1 76900030007 |
Mežnoras 76940010050 |
Preiļu rajona Vārkavas pagasts |
| 140 | 141 | Dienvidrietumi | 0,34 | — | Pa sauszemes līniju | Preiļu virsmežniecības Preiļu
mežniecība 76900030008 |
Mežnoras 76940010050 |
Preiļu rajona Vārkavas pagasts |
| 141 | 142 | Dienvidrietumi | 0,47 | — | Pa sauszemes līniju | Preiļu virsmežniecības Preiļu
mežniecība 76900030008 |
Kastaņi 76940010084 |
Preiļu rajona Vārkavas pagasts |
| 142 | 143 | Dienvidrietumi Ziemeļrietumi Dienvidrietumi Dienvidaustrumi |
0,5 | — | Pa sauszemes līniju un grāvja vidu | Kastaņi 76900030005 |
Kastaņi 76940010084 |
Preiļu rajona Vārkavas pagasts |
| 143 | 144 | Dienvidrietumi | 0,4 | — | Pa grāvja vidu | Kastaņi 76900030015 |
Kastaņi 76940010084 |
Preiļu rajona Vārkavas pagasts |
| 144 | 145 | Dienvidaustrumi | 0,15 | — | Pa sauszemes līniju | Mārtiņi 76900050403 |
Kastaņi 76940010084 |
Preiļu rajona Vārkavas pagasts |
| 145 | 146 | Dienvidaustrumi Ziemeļaustrumi |
0,2 | — | Pa sauszemes līniju | Sudrabiņi 76900050034 |
Kastaņi 76940010084 |
Preiļu rajona Vārkavas pagasts |
| 146 | 147 | Dienvidaustrumi | 0,09 | — | Pa sauszemes līniju | Sudrabiņi 76900050034 |
Kastaņi 76940010084 |
Preiļu rajona Vārkavas pagasts |
| 147 | 148 | Dienvidaustrumi | 0,22 | — | Pa sauszemes līniju | Sudrabiņi 76900050034 |
Sudrabiņi 76940010021 |
Preiļu rajona Vārkavas pagasts |
| 148 | 149 | Dienvidaustrumi | 0,18 | — | Pa ceļa joslas labo malu plāna numerācijas virzienā | Sudrabiņi 76900050034 |
Vārkavas pagasta padome 76940010414 |
Preiļu rajona Vārkavas pagasts |
| 149 | 150 | Dienvidaustrumi | 0,68 | — | Pa ceļa joslas labo malu plāna numerācijas virzienā | Pūrmalas 76900050219 |
Vārkavas pagasta padome 76940010414 |
Preiļu rajona Vārkavas pagasts |
| 150 | 151 | Dienvidaustrumi | 0,02 | — | Pa sauszemes līniju | Vārkavas novada dome 76900050326 |
Vārkavas pagasta padome 76940010335 |
Preiļu rajona Vārkavas pagasts |
| 151 | 152 | Dienvidaustrumi | 0,64 | — | Pa ceļa joslas labo malu plāna numerācijas virzienā | Annas Upenieces
saimniecība 76900050236 |
Vārkavas pagasta padome 76940010414 |
Preiļu rajona Vārkavas pagasts |
| 152 | 153 | Dienvidaustrumi | 0,09 | — | Pa ceļa joslas labo malu plāna numerācijas virzienā | Sarmas 76900050082 |
Vārkavas pagasta padome 76940010414 |
Preiļu rajona Vārkavas pagasts |
| 153 | 154 | Dienvidaustrumi | 0,02 | — | Pa sauszemes līniju | Valsts 2.šķiras autoceļš
Upmala–Ančkini–Pieniņi–Kausa 76900050500 |
Valsts 2.šķiras autoceļš
Upmala–Ančkini–Pieniņi–Kausa 76940010383 |
Preiļu rajona Vārkavas pagasts |
| 154 | 155 | Dienvidaustrumi | 0,14 | — | Pa sauszemes līniju, tās iedomātu turpinājumu līdz Odzenes upes vidum | Sarmas 76900050081 |
Ozoli 76940010052 |
Preiļu rajona Vārkavas pagasts |
| 155 | 156 | Dienvidrietumi | 0,17 | — | Pa Odzenes upes vidu | Sarmas 76900050081 |
Mačāni 76940010080 |
Preiļu rajona Vārkavas pagasts |
| 156 | 157 | Dienvidrietumi | 0,13 | — | Pa Odzenes upes vidu | Leontīnes Konopeckas
saimniecība 76900050235 |
Mačāni 76940010080 |
Preiļu rajona Vārkavas pagasts |
| 157 | 158 | Dienvidaustrumi | 0,24 | — | Pa Odzenes upes vidu | Bulduri 76900050330 |
Liepupe 76940010001 |
Preiļu rajona Vārkavas pagasts |
| 158 | 159 | Dienvidaustrumi | 0,17 | — | Pa Odzenes upes vidu | Bonifācija Vaivoda
saimniecība 76900050308 |
Liepupe 76940010001 |
Preiļu rajona Vārkavas pagasts |
| 159 | 160 | Dienvidaustrumi | 0,13 | — | Pa Odzenes upes vidu | Bonifācija Vaivoda
saimniecība 76900050308 |
Ezerlīči 76940010290 |
Preiļu rajona Vārkavas pagasts |
| 160 | 161 | Dienvidaustrumi Dienvidi |
0,12 | — | Pa Bratišķu ezera krasta līniju | Mežvidi 76900050451 |
Ezerlīči 76940010290 |
Preiļu rajona Vārkavas pagasts |
| 161 | 162 | Dienvidaustrumi | 0,57 | — | Pa sauszemes līniju | Ezerlīči 76900050357 |
Ezerlīči 76940010290 |
Preiļu rajona Vārkavas pagasts |
| 162 | 163 | Dienvidaustrumi Ziemeļaustrumi |
0,37 | — | Pa grāvja vidu | Mežvidi 76900060044 |
Ezerlīči 76940010290 |
Preiļu rajona Vārkavas pagasts |
| 163 | 164 | Ziemeļaustrumi | 0,14 | — | Pa grāvja vidu un sauszemes līniju | Jāņa Kazakēviča
saimniecība 76900060186 |
Ezerlīči 76940010290 |
Preiļu rajona Vārkavas pagasts |
| 164 | 165 | Ziemeļaustrumi | 0,06 | — | Pa sauszemes līniju | Zaļesje 76900060102 |
Ezerlīči 76940010290 |
Preiļu rajona Vārkavas pagasts |
| 165 | 166 | Ziemeļaustrumi | 0,33 | — | Pa sauszemes līniju | Zaļesje 76900060102 |
Bruņas 76940010058 |
Preiļu rajona Vārkavas pagasts |
| 166 | 167 | Dienvidaustrumi | 0,13 | — | Pa ceļa joslas labo malu plāna numerācijas virzienā | Zaļesje 76900060102 |
Vārkavas pagasta padome 76940010375 |
Preiļu rajona Vārkavas pagasts |
| 167 | 168 | Dienvidaustrumi | 0,3 | — | Pa ceļa joslas labo malu plāna numerācijas virzienā | Zaļesje 76900060101 |
Vārkavas pagasta padome 76940010375 |
Preiļu rajona Vārkavas pagasts |
| 168 | 169 | Dienvidaustrumi | 0,25 | — | Pa ceļa joslas labo malu plāna numerācijas virzienā | Tūjas 76900060171 |
Vārkavas pagasta padome 76940010375 |
Preiļu rajona Vārkavas pagasts |
| 169 | 170 | Dienvidaustrumi | 0,02 | — | Pa sauszemes līniju, šķērsojot valsts autoceļu | Valsts 2.šķiras autoceļš
Stolderi–Upmala 76900060195 |
Valsts 2.šķiras autoceļš
Stolderi–Upmala 76940030236 |
Preiļu rajona Vārkavas pagasts |
| 170 | 171 | Ziemeļaustrumi | 0,08 | — | Pa valsts autoceļa joslas labo malu plāna numerācijas virzienā | Priedulāji 76900060170 |
Bezpeļņas organizācijas valsts
akciju sabiedrības “Latvijas Autoceļu direkcija” Preiļu
nodaļa 76940030236 |
Preiļu rajona Vārkavas pagasts |
| 171 | 172 | Ziemeļaustrumi | 0,19 | — | Pa valsts autoceļa joslas labo malu plāna numerācijas virzienā | Mežgaļi 76900060025 |
Bezpeļņas organizācijas valsts
akciju sabiedrības “Latvijas Autoceļu direkcija” Preiļu
nodaļa 76940030236 |
Preiļu rajona Vārkavas pagasts |
| 172 | 173 | Ziemeļaustrumi Austrumi Dienvidaustrumi |
0,37 | — | Pa valsts autoceļa joslas labo malu plāna numerācijas virzienā | Mežloki 76900060090 |
Bezpeļņas organizācijas valsts
akciju sabiedrības “Latvijas Autoceļu direkcija” Preiļu
nodaļa 76940030236 |
Preiļu rajona Vārkavas pagasts |
| 173 | 174 | Dienvidaustrumi Dienvidrietumi |
0,52 | — | Pa grāvja vidu un sauszemes līniju | Mežloki 76900060090 |
Preiļu virsmežniecības Preiļu
mežniecība 76940030304 |
Preiļu rajona Vārkavas pagasts |
| 174 | 175 | Dienvidrietumi | 0,15 | — | Pa sauszemes līniju | Broņislavas Spūles
saimniecība 76900060216 |
Preiļu virsmežniecības Preiļu
mežniecība 76940030304 |
Preiļu rajona Vārkavas pagasts |
| 175 | 176 | Dienvidrietumi Dienvidaustrumi |
0,12 | — | Pa sauszemes līniju | Mežgaļi 76900060024 |
Preiļu virsmežniecības Preiļu
mežniecība 76940030304 |
Preiļu rajona Vārkavas pagasts |
| 176 | 177 | Dienvidaustrumi | 0,25 | — | Pa sauszemes līniju | Šultes Kļavas 76900060026 |
Preiļu virsmežniecības Preiļu
mežniecība 76940030304 |
Preiļu rajona Vārkavas pagasts |
| 177 | 178 | Dienvidaustrumi | 0,22 | — | Pa sauszemes līniju | Lejas 76900060099 |
Preiļu virsmežniecības Preiļu
mežniecība 76940030304 |
Preiļu rajona Vārkavas pagasts |
| 178 | 179 | Dienvidaustrumi | 0,06 | — | Pa sauszemes līniju | Saulstariņi 76900060174 |
Preiļu virsmežniecības Preiļu
mežniecība 76940030304 |
Preiļu rajona Vārkavas pagasts |
| 179 | 180 | Dienvidaustrumi | 0,22 | — | Pa sauszemes līniju | Antoņinas Spūles
saimniecība 76900060172 |
Preiļu virsmežniecības Preiļu
mežniecība 76940030304 |
Preiļu rajona Vārkavas pagasts |
| 180 | 181 | Dienvidaustrumi | 0,17 | — | Pa sauszemes līniju | Alksnīši 76900060188 |
Preiļu virsmežniecības Preiļu
mežniecība 76940030304 |
Preiļu rajona Vārkavas pagasts |
| 181 | 182 | Dienvidi | 0,21 | — | Pa sauszemes līniju | Vecbērzes 76900060191 |
Ievāji 76940040116 |
Preiļu rajona Vārkavas pagasts |
| 182 | 183 | Dienvidaustrumi | 0,1 | — | Pa sauszemes līniju | Vecbērzes 76900060191 |
Prikuļi 76940040095 |
Preiļu rajona Vārkavas pagasts |
| 183 | 184 | Dienvidaustrumi | 0,15 | — | Pa sauszemes līniju | Brīvā valsts zeme 76900060345 |
Apinīši 76940040189 |
Preiļu rajona Vārkavas pagasts |
| 184 | 185 | Dienvidaustrumi | 0,01 | — | Pa sauszemes līniju | Ievāji 76900060218 |
Apinīši 76940040189 |
Preiļu rajona Vārkavas pagasts |
| 185 | 186 | Dienvidaustrumi | 0,05 | — | Pa sauszemes līniju | Ievāji 76900060218 |
Ievāji 76940040168 |
Preiļu rajona Vārkavas pagasts |
| 186 | 187 | Dienvidi | 0,3 | — | Pa sauszemes līniju | Neļķes 76900060214 |
Papardes 76940040113 |
Preiļu rajona Vārkavas pagasts |
| 187 | 188 | Dienvidi | 0,06 | — | Pa sauszemes līniju | Bērzaine 76900060039 |
Bērzaine 76940040013 |
Preiļu rajona Vārkavas pagasts |
| 188 | 189 | Dienvidi | 0,05 | — | Pa sauszemes līniju | Virši 76900060116 |
Virši 76940040050 |
Preiļu rajona Vārkavas pagasts |
| 189 | 190 | Dienvidi | 0,04 | — | Pa sauszemes līniju | Alberta Upenieka
saimniecība 76900060217 |
Alberta Upenieka
saimniecība 76940040173 |
Preiļu rajona Vārkavas pagasts |
| 190 | 191 | Dienvidi | 0,03 | — | Pa sauszemes līniju | Bērziņi 76900060030 |
Aināra Gavara saimniecība 76940040009 |
Preiļu rajona Vārkavas pagasts |
| 191 | 192 | Dienvidi | 0,04 | — | Pa sauszemes līniju | Mežmalas 76900060015 |
Igora Petrova saimniecība 76940040188 |
Preiļu rajona Vārkavas pagasts |
| 192 | 193 | Dienvidi | 0,12 | — | Pa sauszemes līniju | Mežmalas 76900060015 |
Viesuļi 76940040039 |
Preiļu rajona Vārkavas pagasts |
| 193 | 194 | Dienvidi | 0,15 | — | Pa sauszemes līniju | Mežmalas 76900060015 |
Igora Petrova saimniecība 76940040178 |
Preiļu rajona Vārkavas pagasts |
| 194 | 195 | Dienvidi | 0,07 | — | Pa sauszemes līniju | Bērziņi 76900060029 |
Prīdeitis 76940040123 |
Preiļu rajona Vārkavas pagasts |
| 195 | 196 | Dienvidi | 0,22 | — | Pa sauszemes līniju | Priedītes 76900060089 |
Prīdeitis 76940040123 |
Preiļu rajona Vārkavas pagasts |
| 196 | 197 | Dienvidi Dienvidaustrumi |
0,06 | — | Pa sauszemes līniju | Priedītes 76900060089 |
Dzeņi 76940040020 |
Preiļu rajona Vārkavas pagasts |
| 197 | 198 | Dienvidaustrumi | 0,02 | — | Pa sauszemes līniju | Priedītes 76900060089 |
Vārkavas pagasta padome 76940040196 |
Preiļu rajona Vārkavas pagasts |
| 198 | 199 | Dienvidaustrumi | 0,29 | — | Pa sauszemes līniju | Priedītes 76900060089 |
Veldzes 76940040125 |
Preiļu rajona Vārkavas pagasts |
| 199 | 200 | Dienvidaustrumi | 0,3 | — | Pa sauszemes līniju | Priedītes 76900060089 |
Apinīši 76940040082 |
Preiļu rajona Vārkavas pagasts |
| 200 | 201 | Dienvidaustrumi | 0,35 | — | Pa sauszemes līniju | Dzerkaļi 76900060159 |
Ziemeļblāzma 76940040081 |
Preiļu rajona Vārkavas pagasts |
| 201 | 202 | Dienvidaustrumi | 0,02 | — | Pa sauszemes līniju | Brīvā valsts zeme 76900060160 |
Ozoldruva 76940040075 |
Preiļu rajona Vārkavas pagasts |
| 202 | 203 | Dienvidaustrumi | 0,75 | — | Pa sauszemes līniju | Ozoldruva 76900060163 |
Ozoldruva 76940040075 |
Preiļu rajona Vārkavas pagasts |
| 203 | 204 | Dienvidaustrumi | 0,06 | — | Pa sauszemes līniju | Brīvā valsts zeme 76900060351 |
Ozoldruva 76940040075 |
Preiļu rajona Vārkavas pagasts |
| 204 | 205 | Dienvidaustrumi | 0,37 | — | Pa sauszemes līniju | Brīvā valsts zeme 76900060351 |
Kalnziedi 76940040026 |
Preiļu rajona Vārkavas pagasts |
| 205 | 206 | Dienvidaustrumi | 0,02 | — | Pa sauszemes līniju | Alfrēda Jaunušāna
saimniecība 76900060165 |
Vārkavas pagasta padome 76940040175 |
Preiļu rajona Vārkavas pagasts |
| 206 | 207 | Dienvidaustrumi | 0,17 | — | Pa sauszemes līniju | Alfrēda Jaunušāna
saimniecība 76900060165 |
Dolgij Bors 76940040163 |
Preiļu rajona Vārkavas pagasts |
| 207 | 208 | Dienvidaustrumi | 0,14 | — | Pa sauszemes līniju | Brīvā valsts zeme 76900060349 |
Dolgij Bors 76940040163 |
Preiļu rajona Vārkavas pagasts |
| 208 | 209 | Dienvidaustrumi | 0,12 | — | Pa sauszemes līniju | Kļavlapas 76900060229 |
Dolgij Bors 76940040163 |
Preiļu rajona Vārkavas pagasts |
| 209 | 210 | Dienvidaustrumi | 0,04 | — | Pa sauszemes līniju un tās turpinājumu līdz | Ozoli 76900060228 |
Dolgij Bors 76940040163 |
Preiļu rajona Vārkavas pagasts |
| 210 | 211 | Dienvidrietumi | 0,31 | — | Pa Šusta upes vidu | Ozoli 76900060228 |
Ozoldārzs 76560010030 |
Preiļu rajona Pelēču pagasts |
| 211 | 212 | Dienvidrietumi | 0,11 | — | Pa Šusta upes vidu | Ceriņu Mājas 76900060065 |
Ozoldārzs 76560010030 |
Preiļu rajona Pelēču pagasts |
| 212 | 213 | Dienvidrietumi | 0,02 | — | Pa Šusta upes vidu | Vecupes 76900060227 |
Ozoldārzs 76560010030 |
Preiļu rajona Pelēču pagasts |
| 213 | 214 | Dienvidrietumi Ziemeļrietumi |
0,13 | — | Pa Šusta upes vidu | Brakovski 76900060167 |
Ozoldārzs 76560010030 |
Preiļu rajona Pelēču pagasts |
| 214 | 215 | Ziemeļrietumi Dienvidrietumi |
1,1 | — | Pa Šusta upes vidu | Brakovski 76900060167 |
Atmiņas 76560010090 |
Preiļu rajona Pelēču pagasts |
| 215 | 216 | Ziemeļrietumi | 0,01 | — | Pa sauszemes līniju | Brakovski 76900060167 |
Pelēču pagasta padome 76560010182 |
Preiļu rajona Pelēču pagasts |
| 216 | 217 | Ziemeļrietumi Dienvidrietumi |
0,09 | — | Pa Šusta upes vidu | Brakovski 76900060167 |
Atmiņas 76560010091 |
Preiļu rajona Pelēču pagasts |
| 217 | 218 | Dienvidrietumi Ziemeļrietumi |
0,1 | — | Pa Šusta upes vidu līdz tās ietekai Dubnā | Kastaņi 76900060054 |
Atmiņas 76560010091 |
Preiļu rajona Pelēču pagasts |
| 218 | 219 | Ziemeļrietumi | 0,01 | — | Pa Šusta upes viduslīnijas turpinājumu līdz Dubnas upes vidum | Valstij piekrītošā zeme,
publiskie ūdeņi — Dubna 76900060370 |
Valstij piekrītošā zeme,
publiskie ūdeņi — Dubna 76560010154 |
Preiļu rajona Pelēču pagasts |
| 219 | 220 | Dienvidaustrumi Dienvidrietumi |
6,02 | — | Pa Dubnas upes vidu | Valstij piekrītošā zeme,
publiskie ūdeņi — Dubna 76640060180 |
Valstij piekrītošā zeme,
publiskie ūdeņi — Dubna 76560010154 |
Preiļu rajona Pelēču pagasts |
| 220 | 221 | Dienvidrietumi | 0,01 | — | No Dubnas upes viduspunkta līdz sauszemes līnijas sākumpunktam | Valstij piekrītošā zeme,
publiskie ūdeņi — Dubna 76640060180 |
Valstij piekrītošā zeme,
publiskie ūdeņi — Dubna 44520010153 |
Daugavpils rajona Dubnas pagasts |
| 221 | 222 | Dienvidrietumi | 0,03 | — | Pa sauszemes līniju un grāvja vidu | Dubna 76640060027 |
Pētera Baltača saimniecība 45520010028 |
Daugavpils rajona Dubnas pagasts |
| 222 | 223 | Dienvidrietumi | 0,43 | — | Pa grāvja vidu | Dubna 76640060027 |
Ceļupes 45520010024 |
Daugavpils rajona Dubnas pagasts |
| 223 | 224 | Dienvidrietumi | 0,13 | — | Pa grāvja vidu | Akācijas 76640060063 |
Ceļupes 45520010024 |
Daugavpils rajona Dubnas pagasts |
| 224 | 225 | Dienvidrietumi | 0,02 | — | Pa sauszemes līniju | Valsts 2.šķiras autoceļš
Špoģi–Arendole–Upmala–Sīļi 76640060148 |
Valsts 2.šķiras autoceļš
Špoģi–Arendole–Upmala–Sīļi 45520010120 |
Daugavpils rajona Dubnas pagasts |
| 225 | 226 | Dienvidrietumi | 0,25 | — | Pa sauszemes līniju | Jura Keiša saimniecība 76640060140 |
Tālvijas 45520010109 |
Daugavpils rajona Dubnas pagasts |
| 226 | 227 | Dienvidrietumi | 0,58 | — | Pa sauszemes līniju | Mukāni-5 76640060057 |
Mukāni 45520010025 |
Daugavpils rajona Dubnas pagasts |
| 227 | 228 | Dienvidrietumi | 0,35 | — | Pa sauszemes līniju | Brīvā valsts zeme 76640060169 |
Ceļupes 44520010155 |
Daugavpils rajona Dubnas pagasts |
| 228 | 229 | Dienvidrietumi | 0,13 | — | Pa sauszemes līniju | Tūjas 76640060065 |
Kaupri 44520010026 |
Daugavpils rajona Dubnas pagasts |
| 229 | 230 | Dienvidrietumi | 0,13 | — | Pa sauszemes līniju | Dzelmes 76640060147 |
Kaupri 44520010026 |
Daugavpils rajona Dubnas pagasts |
| 230 | 231 | Dienvidrietumi | 0,18 | — | Pa sauszemes līniju | Dzelmes 76640060147 |
Daugavpils virsmežniecības
Nīcgales mežniecība 44520020245 |
Daugavpils rajona Dubnas pagasts |
| 231 | 232 | Ziemeļrietumi | 0,17 | — | Pa sauszemes līniju | Dzelmes 76640060147 |
Daugavpils virsmežniecības
Nīcgales mežniecība 44620040001 |
Daugavpils rajona Kalupes pagasts |
| 232 | 233 | Ziemeļrietumi | 0,06 | — | Pa sauszemes līniju | Tūjas 76640060065 |
Daugavpils virsmežniecības
Nīcgales mežniecība 44620040001 |
Daugavpils rajona Kalupes pagasts |
| 233 | 234 | Ziemeļrietumi | 0,07 | — | Pa sauszemes līniju | Pūpoli 76640060029 |
Daugavpils virsmežniecības
Nīcgales mežniecība 44620040001 |
Daugavpils rajona Kalupes pagasts |
| 234 | 235 | Ziemeļrietumi | 0,07 | — | Pa sauszemes līniju | Arendole 76640060070 |
Daugavpils virsmežniecības
Nīcgales mežniecība 44620040001 |
Daugavpils rajona Kalupes pagasts |
| 235 | 236 | Ziemeļrietumi | 0,06 | — | Pa sauszemes līniju | Mukāni 76640060006 |
Daugavpils virsmežniecības
Nīcgales mežniecība 44620040001 |
Daugavpils rajona Kalupes pagasts |
| 236 | 237 | Ziemeļrietumi | 0,08 | — | Pa sauszemes līniju | Mukāni-5 76640060058 |
Daugavpils virsmežniecības
Nīcgales mežniecība 44620040001 |
Daugavpils rajona Kalupes pagasts |
| 237 | 238 | Ziemeļrietumi | 0,09 | — | Pa sauszemes līniju | Mukāni 76640060006 |
Daugavpils virsmežniecības
Nīcgales mežniecība 44620040001 |
Daugavpils rajona Kalupes pagasts |
| 238 | 239 | Ziemeļrietumi | 0,3 | — | Pa sauszemes līniju | Jaunie Lielozoli 76640060012 |
Daugavpils virsmežniecības
Nīcgales mežniecība 44620040001 |
Daugavpils rajona Kalupes pagasts |
| 239 | 240 | Ziemeļrietumi | 0,67 | — | Pa sauszemes līniju un grāvja vidu | Jāņa Veļika saimniecība 76640060144 |
Daugavpils virsmežniecības
Nīcgales mežniecība 44620040001 |
Daugavpils rajona Kalupes pagasts |
| 240 | 241 | Ziemeļrietumi | 0,48 | — | Pa grāvja vidu | Aristīda Salceviča
saimniecība 76640060013 |
Daugavpils virsmežniecības
Nīcgales mežniecība 44620040001 |
Daugavpils rajona Kalupes pagasts |
| 241 | 242 | Ziemeļrietumi | 0,16 | — | Pa grāvja vidu | Jāņa Baika saimniecība 76640060145 |
Daugavpils virsmežniecības
Nīcgales mežniecība 44620040001 |
Daugavpils rajona Kalupes pagasts |
| 242 | 243 | Ziemeļrietumi | 0,03 | — | Pa grāvja vidu | Lidijas Berčenko
saimniecība 76640060156 |
Daugavpils virsmežniecības
Nīcgales mežniecība 44620040001 |
Daugavpils rajona Kalupes pagasts |
| 243 | 244 | Dienvidrietumi | 0,1 | — | Pa grāvja vidu | Pabērzi-1 76640060118 |
Daugavpils virsmežniecības
Nīcgales mežniecība 44620040001 |
Daugavpils rajona Kalupes pagasts |
| 244 | 245 | Dienvidrietumi | 0,15 | — | Pa grāvja vidu | Airi 76640060024 |
Daugavpils virsmežniecības
Nīcgales mežniecība 44620040001 |
Daugavpils rajona Kalupes pagasts |
| 245 | 246 | Dienvidrietumi Ziemeļrietumi |
0,97 | — | Pa grāvja vidu | Nautrāni 76640060114 |
Daugavpils virsmežniecības
Nīcgales mežniecība 44620040001 |
Daugavpils rajona Kalupes pagasts |
| 246 | 247 | Ziemeļrietumi Ziemeļaustrumi |
0,62 | — | Pa grāvja vidu | Venerandas Mičules
saimniecība 76640060173 |
Daugavpils virsmežniecības
Nīcgales mežniecība 44620040001 |
Daugavpils rajona Kalupes pagasts |
| 247 | 248 | Ziemeļrietumi | 0,01 | — | Pa sauszemes līniju | Vārkavas novada dome 76640060153 |
Valsts 2.šķiras autoceļš
Kalupe–Aizkalne 44620040003 |
Daugavpils rajona Kalupes pagasts |
| 248 | 249 | Ziemeļaustrumi | 0,05 | — | Pa ceļa joslas kreiso malu plāna numerācijas virzienā | Vārkavas novada dome 76640060153 |
Valsts 2.šķiras autoceļš
Kalupe–Aizkalne 44620040003 |
Daugavpils rajona Kalupes pagasts |
| 249 | 250 | Ziemeļrietumi | 0,38 | — | Pa sauszemes līniju | Brīvā valsts zeme 76640060172 |
Daugavpils virsmežniecības
Nīcgales mežniecība 44620040001 |
Daugavpils rajona Kalupes pagasts |
| 250 | 251 | Dienvidrietumi Ziemeļrietumi Ziemeļaustrumi |
1,0 | — | Pa sauszemes līniju | Aizalksne 76640060021 |
Daugavpils virsmežniecības
Nīcgales mežniecība 44620040002 |
Daugavpils rajona Kalupes pagasts |
| 251 | 252 | Ziemeļaustrumi | 0,2 | — | Pa sauszemes līniju | Ogļenieki 76640060111 |
Daugavpils virsmežniecības
Nīcgales mežniecība 44620040002 |
Daugavpils rajona Kalupes pagasts |
| 252 | 253 | Ziemeļaustrumi | 0,29 | — | Pa sauszemes līniju | Tīreļi 76640060110 |
Daugavpils virsmežniecības
Nīcgales mežniecība 44620040002 |
Daugavpils rajona Kalupes pagasts |
| 253 | 254 | Ziemeļaustrumi | 0,19 | — | Pa sauszemes līniju | Aizalksne 76640060163 |
Daugavpils virsmežniecības
Nīcgales mežniecība 44620040002 |
Daugavpils rajona Kalupes pagasts |
| 254 | 255 | Ziemeļaustrumi | 0,25 | — | Pa sauszemes līniju | Gaismoņi 76640060109 |
Daugavpils virsmežniecības
Nīcgales mežniecība 44620040002 |
Daugavpils rajona Kalupes pagasts |
| 255 | 256 | Ziemeļrietumi | 0,1 | — | Pa sauszemes līniju | Annas Gutmanes saimniecība 76640060103 |
Daugavpils virsmežniecības
Nīcgales mežniecība 44620040002 |
Daugavpils rajona Kalupes pagasts |
| 256 | 257 | Ziemeļrietumi | 0,2 | — | Pa sauszemes līniju | Jaunkalni 76640060093 |
Daugavpils virsmežniecības
Nīcgales mežniecība 44620040002 |
Daugavpils rajona Kalupes pagasts |
| 257 | 258 | Ziemeļrietumi | 0,65 | — | Pa sauszemes līniju | Alfona Kivlenieka
saimniecība 76640060071 |
Daugavpils virsmežniecības
Nīcgales mežniecība 44620040002 |
Daugavpils rajona Kalupes pagasts |
| 258 | 259 | Ziemeļrietumi | 0,07 | — | Pa sauszemes līniju | Teteri 76640060073 |
Daugavpils virsmežniecības
Nīcgales mežniecība 44620040002 |
Daugavpils rajona Kalupes pagasts |
| 259 | 260 | Ziemeļrietumi | 0,17 | — | Pa sauszemes līniju | Andra Cirša saimniecība 76640060079 |
Daugavpils virsmežniecības
Nīcgales mežniecība 44620040002 |
Daugavpils rajona Kalupes pagasts |
| 260 | 261 | Ziemeļrietumi | 0,53 | — | Pa sauszemes līniju | Rubeņsaliņas 76640060014 |
Daugavpils virsmežniecības
Nīcgales mežniecība 44620040002 |
Daugavpils rajona Kalupes pagasts |
| 261 | 262 | Ziemeļrietumi | 0,17 | — | Pa sauszemes līniju | Brīvā valsts zeme 76640040113 |
Daugavpils virsmežniecības
Nīcgales mežniecība 44620040002 |
Daugavpils rajona Kalupes pagasts |
| 262 | 263 | Dienvidrietumi | 0,24 | — | Pa sauszemes līniju | Pakalnu Mājas 76640040001 |
Daugavpils virsmežniecības
Nīcgales mežniecība 44620040002 |
Daugavpils rajona Kalupes pagasts |
| 263 | 264 | Dienvidrietumi | 0,3 | — | Pa sauszemes līniju | Līvbērzi 76640040032 |
Daugavpils virsmežniecības
Nīcgales mežniecība 44620040002 |
Daugavpils rajona Kalupes pagasts |
| 264 | 265 | Dienvidrietumi | 0,46 | — | Pa sauszemes līniju | Ploņi 76640050045 |
Daugavpils virsmežniecības
Nīcgales mežniecība 44620040002 |
Daugavpils rajona Kalupes pagasts |
| 265 | 266 | Dienvidrietumi | 0,24 | — | Pa sauszemes līniju | Brīvā valsts zeme 76640050068 |
Daugavpils virsmežniecības
Nīcgales mežniecība 44620040002 |
Daugavpils rajona Kalupes pagasts |
| 266 | 267 | Dienvidi | 0,19 | — | Pa sauszemes līniju | Purenes 76640050125 |
Daugavpils virsmežniecības
Nīcgales mežniecība 44620040002 |
Daugavpils rajona Kalupes pagasts |
| 267 | 268 | Dienvidi | 0,16 | — | Pa sauszemes līniju | Ozolmājas 76640050055 |
Daugavpils virsmežniecības
Nīcgales mežniecība 44620040002 |
Daugavpils rajona Kalupes pagasts |
| 268 | 269 | Dienvidi | 0,41 | — | Pa sauszemes līniju | Lejas-1 76640050034 |
Daugavpils virsmežniecības
Nīcgales mežniecība 44620040002 |
Daugavpils rajona Kalupes pagasts |
| 269 | 270 | Dienvidi | 0,47 | — | Pa sauszemes līniju | Cielavas 76640050044 |
Daugavpils virsmežniecības
Nīcgales mežniecība 44620040002 |
Daugavpils rajona Kalupes pagasts |
| 270 | 271 | Dienvidrietumi | 0,11 | — | Pa sauszemes līniju | Asari 76640050122 |
Daugavpils virsmežniecības
Nīcgales mežniecība 44620040002 |
Daugavpils rajona Kalupes pagasts |
| 271 | 272 | Dienvidaustrumi | 0,36 | — | Pa grāvja vidu | Duncišķi 76640050005 |
Daugavpils virsmežniecības
Nīcgales mežniecība 44620040002 |
Daugavpils rajona Kalupes pagasts |
| 272 | 273 | Dienvidaustrumi | 0,67 | — | Pa sauszemes līniju un grāvja vidu | Salupe 76640050066 |
Daugavpils virsmežniecības
Nīcgales mežniecība 44620040002 |
Daugavpils rajona Kalupes pagasts |
| 273 | 274 | Dienvidaustrumi | 0,62 | — | Pa grāvja vidu | Tomoņi 76640050120 |
Daugavpils virsmežniecības
Nīcgales mežniecība 44620040002 |
Daugavpils rajona Kalupes pagasts |
| 274 | 275 | Dienvidaustrumi | 0,4 | — | Pa grāvja vidu un sauszemes līniju | Stirnas 76640050031 |
Daugavpils virsmežniecības
Nīcgales mežniecība 44620040002 |
Daugavpils rajona Kalupes pagasts |
| 275 | 276 | Rietumi Dienvidrietumi |
0,62 | — | Pa sauszemes līniju | Stirnas 76640050031 |
Oskara Sīļa saimniecība 44620030081 |
Daugavpils rajona Kalupes pagasts |
| 276 | 277 | Dienvidrietumi | 0,3 | — | Pa sauszemes līniju | Aivara Bogdāna saimniecība 76640050061 |
Oskara Sīļa saimniecība 44620030081 |
Daugavpils rajona Kalupes pagasts |
| 277 | 278 | Dienvidrietumi | 0,2 | — | Pa sauszemes līniju | Aivara Bogdāna saimniecība 76640050061 |
Jāzepa Baltača saimniecība 44620030075 |
Daugavpils rajona Kalupes pagasts |
| 278 | 279 | Dienvidrietumi | 0,02 | — | Pa sauszemes līniju | Valsts 2.šķiras autoceļš
Līksna–Kalupe–Upmala–Rožupe 76640050129 |
Valsts 2.šķiras autoceļš
Līksna–Kalupe–Upmala–Rožupe 44620030517 |
Daugavpils rajona Kalupes pagasts |
| 279 | 280 | Dienvidrietumi | 0,3 | — | Pa sauszemes līniju un grāvja vidu | Aivara Bogdāna saimniecība 76640050060 |
Jāzepa Baltača saimniecība 44620030074 |
Daugavpils rajona Kalupes pagasts |
| 280 | 281 | Ziemeļrietumi | 0,73 | — | Pa Lielo Kalupes ezeru, no grāvja viduslīnijas beigu punkta līdz sauszemes līnijas sākumpunktam | Valstij piekrītošā zeme,
publiskie ūdeņi — Lielais Kalupes ezers 76640050138 |
Valstij piekrītošā zeme,
publiskie ūdeņi — Lielais Kalupes ezers 44620030426 |
Daugavpils rajona Kalupes pagasts |
| 281 | 282 | Dienvidrietumi | 0,05 | — | Pa sauszemes līniju | Rudenova 76640050057 |
Brīvā valsts zeme 44620020310 |
Daugavpils rajona Kalupes pagasts |
| 282 | 283 | Dienvidrietumi | 0,01 | — | Pa sauszemes līniju | Rudenova 76640050057 |
Kalupes pagasta padome 44620020286 |
Daugavpils rajona Kalupes pagasts |
| 283 | 284 | Dienvidrietumi | 0,22 | — | Pa sauszemes līniju | Rudenova 76640050057 |
Brīvā valsts zeme 44620020309 |
Daugavpils rajona Kalupes pagasts |
| 284 | 285 | Dienvidrietumi | 0,13 | — | Pa sauszemes līniju | Rudenova 76640050057 |
Laksti 44620020031 |
Daugavpils rajona Kalupes pagasts |
| 285 | 286 | Dienvidrietumi | 0,33 | — | Pa sauszemes līniju | Rudenova 76640050057 |
Brīvā valsts zeme 44620020308 |
Daugavpils rajona Kalupes pagasts |
| 286 | 287 | Dienvidrietumi | 0,17 | — | Pa sauszemes līniju | Rudenova 76640050057 |
Malēji 44620020015 |
Daugavpils rajona Kalupes pagasts |
| 287 | 288 | Ziemeļi | 0,08 | — | Pa grāvja vidu | Rudenova 76640050057 |
Daugavpils virsmežniecības
Nīcgales mežniecība 44620010168 |
Daugavpils rajona Kalupes pagasts |
| 288 | 289 | Ziemeļrietumi | 0,12 | — | Pa grāvja vidu | Rudenova 76640050057 |
Daugavpils virsmežniecības
Nīcgales mežniecība 44760070031 |
Daugavpils rajona Nīcgales pagasts |
| 289 | 290 | Ziemeļrietumi | 0,19 | — | Pa grāvja vidu | Ezerrudenova 76640050056 |
Daugavpils virsmežniecības
Nīcgales mežniecība 44760070031 |
Daugavpils rajona Nīcgales pagasts |
| 290 | 291 | Ziemeļrietumi | 0,31 | — | Pa grāvja vidu | Pulkstenīši 76640050113 |
Daugavpils virsmežniecības
Nīcgales mežniecība 44760070031 |
Daugavpils rajona Nīcgales pagasts |
| 291 | 292 | Ziemeļrietumi | 0,35 | — | Pa grāvja vidu | Šņepstu Jaunāres 76640050112 |
Daugavpils virsmežniecības
Nīcgales mežniecība 44760070031 |
Daugavpils rajona Nīcgales pagasts |
| 292 | 293 | Ziemeļrietumi | 0,14 | — | Pa grāvja vidu | Lielozoli 76640050052 |
Daugavpils virsmežniecības
Nīcgales mežniecība 44760070031 |
Daugavpils rajona Nīcgales pagasts |
| 293 | 294 | Ziemeļrietumi Ziemeļaustrumi |
0,37 | — | Pa grāvja vidu | Ezerlejas 76640050006 |
Daugavpils virsmežniecības
Nīcgales mežniecība 44760070031 |
Daugavpils rajona Nīcgales pagasts |
| 294 | 295 | Ziemeļrietumi | 0,8 | — | Pa grāvja vidu | Mežezeri 76640050107 |
Daugavpils virsmežniecības
Nīcgales mežniecība 44760070031 |
Daugavpils rajona Nīcgales pagasts |
| 295 | 296 | Ziemeļrietumi | 0,13 | — | Pa grāvja vidu | Druvas 76640050067 |
Daugavpils virsmežniecības
Nīcgales mežniecība 44760070031 |
Daugavpils rajona Nīcgales pagasts |
| 296 | 297 | Ziemeļi | 0,1 | — | Pa sauszemes līniju | Druvas 76640050067 |
Nīcgales pagasta padome 44760070030 |
Daugavpils rajona Nīcgales pagasts |
| 297 | 298 | Ziemeļrietumi | 0,07 | — | Pa grāvja vidu | Brīvā valsts zeme 76640050144 |
Daugavpils virsmežniecības
Nīcgales mežniecība 44760070033 |
Daugavpils rajona Nīcgales pagasts |
| 298 | 299 | Ziemeļrietumi | 0,13 | — | Pa grāvja vidu | Andiņi 76640050023 |
Daugavpils virsmežniecības
Nīcgales mežniecība 44760070033 |
Daugavpils rajona Nīcgales pagasts |
| 299 | 300 | Ziemeļrietumi | 0,25 | — | Pa grāvja vidu | Būrupes 76640050103 |
Daugavpils virsmežniecības
Nīcgales mežniecība 44760070033 |
Daugavpils rajona Nīcgales pagasts |
| 300 | 301 | Ziemeļrietumi | 0,27 | — | Pa grāvja vidu | Sili 76640050098 |
Daugavpils virsmežniecības
Nīcgales mežniecība 44760070033 |
Daugavpils rajona Nīcgales pagasts |
| 301 | 302 | Ziemeļrietumi | 0,6 | — | Pa grāvja vidu, sauszemes līniju un grāvja vidu | Marijas Lazdānes
saimniecība 76640050097 |
Daugavpils virsmežniecības
Nīcgales mežniecība 44760070033 |
Daugavpils rajona Nīcgales pagasts |
| 302 | 303 | Ziemeļrietumi | 0,35 | — | Pa grāvja vidu un sauszemes līniju | Jāņa Lazdāna saimniecība 76640040131 |
Daugavpils virsmežniecības
Nīcgales mežniecība 44760070033 |
Daugavpils rajona Nīcgales pagasts |
| 303 | 304 | Ziemeļrietumi | 0,33 | — | Pa sauszemes līniju | Ivara Kokina saimniecība 76640040130 |
Daugavpils virsmežniecības
Nīcgales mežniecība 44760070033 |
Daugavpils rajona Nīcgales pagasts |
| 304 | 305 | Ziemeļrietumi | 0,12 | — | Pa sauszemes līniju | Linvejas 76640040133 |
Daugavpils virsmežniecības
Nīcgales mežniecība 44760070033 |
Daugavpils rajona Nīcgales pagasts |
| 305 | 306 | Ziemeļrietumi | 0,32 | — | Pa sauszemes līniju | Linvejas 76640040133 |
Daugavpils virsmežniecības
Nīcgales mežniecība 44760040002 |
Daugavpils rajona Nīcgales pagasts |
| 306 | 307 | Ziemeļrietumi | 0,23 | — | Pa sauszemes līniju | Pauguri 76640040191 |
Daugavpils virsmežniecības
Nīcgales mežniecība 44760040002 |
Daugavpils rajona Nīcgales pagasts |
| 307 | 308 | Ziemeļrietumi | 0,19 | — | Pa sauszemes līniju | Ivara Soikas saimniecība 76640040124 |
Daugavpils virsmežniecības
Nīcgales mežniecība 44760040002 |
Daugavpils rajona Nīcgales pagasts |
| 308 | 309 | Ziemeļrietumi | 0,13 | — | Pa sauszemes līniju | Pauguri 76640040123 |
Daugavpils virsmežniecības
Nīcgales mežniecība 44760040002 |
Daugavpils rajona Nīcgales pagasts |
| 309 | 310 | Ziemeļrietumi | 0,27 | — | Pa sauszemes līniju | Ploņi 76640040027 |
Daugavpils virsmežniecības
Nīcgales mežniecība 44760040002 |
Daugavpils rajona Nīcgales pagasts |
| 310 | 311 | Ziemeļrietumi | 0,3 | — | Pa sauszemes līniju | Cido 76640040036 |
Daugavpils virsmežniecības
Nīcgales mežniecība 44760040002 |
Daugavpils rajona Nīcgales pagasts |
| 311 | 312 | Ziemeļrietumi | 0,2 | — | Pa sauszemes līniju | Mazie Grāvīši 76640040095 |
Daugavpils virsmežniecības
Nīcgales mežniecība 44760040002 |
Daugavpils rajona Nīcgales pagasts |
| 312 | 313 | Ziemeļrietumi | 0,27 | — | Pa sauszemes līniju | Kalnāji 76640040019 |
Daugavpils virsmežniecības
Nīcgales mežniecība 44760040002 |
Daugavpils rajona Nīcgales pagasts |
| 313 | 314 | Ziemeļrietumi | 0,36 | — | Pa sauszemes līniju | Brīvā valsts zeme 76640040187 |
Daugavpils virsmežniecības
Nīcgales mežniecība 44760040002 |
Daugavpils rajona Nīcgales pagasts |
| 314 | 315 | Ziemeļrietumi | 0,18 | — | Pa sauszemes līniju | Alberta Glaudāna
saimniecība 76640040091 |
Izdegas 44760040001 |
Daugavpils rajona Nīcgales pagasts |
| 315 | 316 | Dienvidrietumi Ziemeļrietumi |
0,26 | — | Pa sauszemes līniju | Kalupes evaņģēliski luteriskā
draudze 76640040155 |
Izdegas 44760040001 |
Daugavpils rajona Nīcgales pagasts |
| 316 | 317 | Ziemeļaustrumi Ziemeļrietumi |
0,13 | — | Pa ceļa joslas labo malu plāna numerācijas virzienā, šķērsojot valsts autoceļu | Valsts 2.šķiras autoceļš
Nīcgale–Upmala 76640040161 |
Valsts 2.šķiras autoceļš
Nīcgale–Upmala 77760040003 |
Daugavpils rajona Nīcgales pagasts |
| 317 | 318 | Ziemeļrietumi | 0,13 | — | Pa sauszemes līniju | Āboli 76640030040 |
Daugavpils virsmežniecības
Nīcgales mežniecība 44760040002 |
Daugavpils rajona Nīcgales pagasts |
| 318 | 319 | Ziemeļrietumi Ziemeļaustrumi |
0,65 | — | Pa sauszemes līniju līdz Malnaviņas upes vidum | Āboli 76640030208 |
Daugavpils virsmežniecības
Nīcgales mežniecība 44760040002 |
Daugavpils rajona Nīcgales pagasts |
| 319 | 320 | Ziemeļrietumi | 0,16 | — | Pa Malnaviņas upes vidu | Kalnāji 76640030035 |
Daugavpils virsmežniecības
Nīcgales mežniecība 44760040002 |
Daugavpils rajona Nīcgales pagasts |
| 320 | 321 | Ziemeļrietumi | 0,07 | — | Pa Malnaviņas upes vidu | Vecvītoli 76640030207 |
Daugavpils virsmežniecības
Nīcgales mežniecība 44760040002 |
Daugavpils rajona Nīcgales pagasts |
| 321 | 322 | Dienvidaustrumi | 0,07 | — | Pa sauszemes līniju | Mežmalas 76640030182 |
Daugavpils virsmežniecības
Nīcgales mežniecība 44760040004 |
Daugavpils rajona Nīcgales pagasts |
| 322 | 323 | Dienvidaustrumi | 0,01 | — | Pa sauszemes līniju | Vārkavas novada dome 76640030231 |
Daugavpils virsmežniecības
Nīcgales mežniecība 44760040004 |
Daugavpils rajona Nīcgales pagasts |
| 323 | 324 | Dienvidrietumi | 0,88 | — | Pa sauszemes līniju | Jura Stikāna saimniecība 76640030183 |
Daugavpils virsmežniecības
Nīcgales mežniecība 44760040004 |
Daugavpils rajona Nīcgales pagasts |
| 324 | 325 | Dienvidrietumi | 0,45 | — | Pa sauszemes līniju | Ozolnieki 76640030066 |
Daugavpils virsmežniecības
Nīcgales mežniecība 44760040004 |
Daugavpils rajona Nīcgales pagasts |
| 325 | 326 | Dienvidrietumi | 0,78 | — | Pa sauszemes līniju | Jaundancīši 76640030004 |
Daugavpils virsmežniecības
Nīcgales mežniecība 44760040004 |
Daugavpils rajona Nīcgales pagasts |
| 326 | 327 | Dienvidrietumi | 0,29 | — | Pa sauszemes līniju | Dāboliņi 76640030173 |
Daugavpils virsmežniecības
Nīcgales mežniecība 44760040004 |
Daugavpils rajona Nīcgales pagasts |
| 327 | 328 | Dienvidrietumi | 0,14 | — | Pa sauszemes līniju | Ozolnieki 76640030067 |
Daugavpils virsmežniecības
Nīcgales mežniecība 44760040004 |
Daugavpils rajona Nīcgales pagasts |
| 328 | 329 | Dienvidrietumi Ziemeļrietumi |
0,25 | — | Pa sauszemes līniju | Dāboliņi 76640030172 |
Daugavpils virsmežniecības
Nīcgales mežniecība 44760040004 |
Daugavpils rajona Nīcgales pagasts |
| 329 | 330 | Ziemeļrietumi | 0,29 | — | Pa sauszemes līniju | Dāboliņi 76640030172 |
Daugavpils virsmežniecības
Nīcgales mežniecība 44760030055 |
Daugavpils rajona Nīcgales pagasts |
| 330 | 331 | Ziemeļrietumi | 0,79 | — | Pa sauszemes līniju | Ozolnieki 76640030067 |
Daugavpils virsmežniecības
Nīcgales mežniecība 44760030055 |
Daugavpils rajona Nīcgales pagasts |
| 331 | 332 | Ziemeļrietumi | 0,37 | — | Pa sauszemes līniju | Dāboliņi 76640030169 |
Daugavpils virsmežniecības
Nīcgales mežniecība 44760030055 |
Daugavpils rajona Nīcgales pagasts |
| 332 | 333 | Ziemeļrietumi Ziemeļaustrumi |
0,32 | — | Pa sauszemes līniju | Saulīši 76640030262 |
Daugavpils virsmežniecības
Nīcgales mežniecība 44760030055 |
Daugavpils rajona Nīcgales pagasts |
| 333 | 334 | Ziemeļrietumi | 0,24 | — | Pa sauszemes līniju | Liepas 76640030062 |
Daugavpils virsmežniecības
Nīcgales mežniecība 44760030055 |
Daugavpils rajona Nīcgales pagasts |
| 334 | 335 | Ziemeļrietumi | 0,3 | — | Pa sauszemes līniju | Liepas 76640030062 |
Daugavpils virsmežniecības
Nīcgales mežniecība 44760010003 |
Daugavpils rajona Nīcgales pagasts |
| 335 | 336 | Ziemeļrietumi | 1,2 | — | Pa sauszemes līniju | Smilgas 76640030006 |
Daugavpils virsmežniecības
Nīcgales mežniecība 44760010003 |
Daugavpils rajona Nīcgales pagasts |
| 336 | 337 | Ziemeļrietumi | 0,72 | — | Pa sauszemes līniju | Kalnāji 76640030117 |
Daugavpils virsmežniecības
Nīcgales mežniecība 44760010003 |
Daugavpils rajona Nīcgales pagasts |
| 337 | 338 | Ziemeļrietumi | 0,67 | — | Pa sauszemes līniju | Liepsaldes 76640030009 |
Daugavpils virsmežniecības
Nīcgales mežniecība 44760010003 |
Daugavpils rajona Nīcgales pagasts |
| 338 | 339 | Ziemeļrietumi | 0,01 | — | Pa sauszemes līniju | Vārkavas novada dome 76640030226 |
Nīcgales pagasta padome 44760010002 |
Daugavpils rajona Nīcgales pagasts |
| 339 | 340 | Ziemeļrietumi | 0,35 | — | Pa sauszemes līniju | Pakalnu Mājas 76640030059 |
Daugavpils virsmežniecības
Nīcgales mežniecība 44760010004 |
Daugavpils rajona Nīcgales pagasts |
| 340 | 341 | Dienvidrietumi | 1,35 | — | Pa meža kvartāla stigas vidu | Preiļu virsmežniecības Jersikas
mežniecība 76640020113 |
Daugavpils virsmežniecības
Nīcgales mežniecība 44760010004 |
Daugavpils rajona Nīcgales pagasts |
| 341 | 342 | Dienvidrietumi | 0,1 | — | Pa meža kvartāla stigas vidu | Vārkavas novada dome 76640010137 |
Nīcgales pagasta padome 44760010002 |
Daugavpils rajona Nīcgales pagasts |
| 342 | 343 | Dienvidrietumi | 0,9 | — | Pa meža kvartāla stigas vidu | Preiļu virsmežniecības Jersikas
mežniecība 76640010136 |
Daugavpils virsmežniecības
Nīcgales mežniecība 4760010003 |
Daugavpils rajona Nīcgales pagasts |
| 343 | 344 | Dienvidrietumi | 0,18 | — | Pa meža kvartāla stigas vidu | Preiļu virsmežniecības Jersikas
mežniecība 76640010136 |
Aizporieši 44760020028 |
Daugavpils rajona Nīcgales pagasts |
| 344 | 345 | Dienvidrietumi | 0,15 | — | Pa meža kvartāla stigas vidu | Preiļu virsmežniecības Jersikas
mežniecība 76640010136 |
Malagole 44760020039 |
Daugavpils rajona Nīcgales pagasts |
| 345 | 346 | Dienvidrietumi | 0,16 | — | Pa meža kvartāla stigas vidu | Preiļu virsmežniecības Jersikas
mežniecība 76640010136 |
Upmalas 44760020009 |
Daugavpils rajona Nīcgales pagasts |
| 346 | 347 | Dienvidrietumi | 0,11 | — | Pa meža kvartāla stigas vidu | Preiļu virsmežniecības Jersikas
mežniecība 76640010136 |
Tartaki 44760020061 |
Daugavpils rajona Nīcgales pagasts |
| 347 | 348 | Ziemeļrietumi | 0,6 | — | Pa meža kvartāla stigas vidu | Preiļu virsmežniecības Jersikas
mežniecība 76640010136 |
Preiļu virsmežniecības Jersikas
mežniecība 76520070191 |
Preiļu rajona Jersikas pagasts |
| 348 | 349 | Dienvidrietumi | 0,01 | — | Pa sauszemes līniju | Vārkavas novada dome 76640010137 |
Preiļu virsmežniecības Jersikas
mežniecība 76520070191 |
Preiļu rajona Jersikas pagasts |
| 349 | 350 | Ziemeļrietumi Dienvidrietumi Ziemeļrietumi Ziemeļaustrumi |
6,2 | — | Pa meža kvartāla stigas vidu, grāvja vidu un meža kvartāla stigas vidu | Preiļu virsmežniecības Jersikas
mežniecība 76640020113 |
Preiļu virsmežniecības Jersikas
mežniecība 76520070191 |
Preiļu rajona Jersikas pagasts |
| 350 | 351 | Ziemeļrietumi | 2,58 | — | Pa meža kvartāla stigas vidu un grāvja vidu | Preiļu virsmežniecības Jersikas
mežniecība 76640010130 |
Preiļu virsmežniecības Jersikas
mežniecība 76520070191 |
Preiļu rajona Jersikas pagasts |
| 351 | 352 | Ziemeļrietumi | 0,19 | — | Pa grāvja vidu | Peisusala 76640010106 |
Preiļu virsmežniecības Jersikas
mežniecība 76520070191 |
Preiļu rajona Jersikas pagasts |
| 352 | 353 | Ziemeļrietumi | 1,92 | — | Pa grāvja vidu | Preiļu virsmežniecības Jersikas mežniecība 76640010130 |
Preiļu virsmežniecības Jersikas mežniecība 76520070191 |
Preiļu rajona Jersikas pagasts |
| 353 | 354 | Ziemeļrietumi | 0,02 | — | Pa sauszemes līniju | Vārkavas novada dome 76640010108 |
Preiļu virsmežniecības Jersikas mežniecība 76520070191 |
Preiļu rajona Jersikas pagasts |
| 354 | 1 | Ziemeļrietumi | 2,6 | — | Pa grāvja vidu | Preiļu virsmežniecības Jersikas mežniecība 76640010127 |
Preiļu virsmežniecības Jersikas mežniecība 76520070191 |
Preiļu rajona Jersikas pagasts |
Īpašu uzdevumu ministrs valsts reformu lietās J.Krūmiņš