
Ministru kabineta rīkojums Nr. 606
Rīgā 1998.gada 16.decembrī (prot. Nr. 67, 16.§)
Par zemesgabalu saglabāšanu valsts īpašumā
1. Saglabāt valsts īpašumā un nodot Iekšlietu ministrijas valdījumā šā dus zemesgabalus:
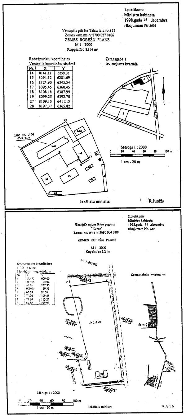
1.1. zemesgabalu 8514 m2 platībā (zemes kadastra Nr. 2700 027 0106, zemesgabala robežas norādītas 1.pielikumā) Ventspilī, Talsu ielā 112;
1.2. zemesgabalu 3,2 ha platībā (zemes kadastra NR. 5680 004 0104, zemesgabala robežas norādītas 2.pielikumā) Jēkabpils rajona Rites pagasta "Rozēs";
1.3. zemesgabalu 1,0 ha platībā (zemes kadastra Nr. 5680 004 0103, zemesgabala robežas norādītas 3.pielikumā) Jēkabpils rajona Rites pagasta "Druviņās 7";
1.4. zemesgabalu 2741 m2 platībā (zemes kadastra Nr. 3262 009 0113, zemesgabala robežas norādītas 4.pielikumā) Aizkraukles rajona Kurmenes pagasta "Kantorī".
2. Iekšlietu ministrijai šī rīkojuma 1.punktā minētos zemesgabalus noteiktā kārtībā ierakstīt zemesgrāmatā uz valsts vārda Iekšlietu ministrijas personā.
Ministru prezidents V.Krištopans
Iekšlietu ministrs R.Jurdžs