
Ministru kabineta rīkojums Nr.543
Rīgā 1998.gada 12.novembrī (prot. Nr. 61, 11.§)
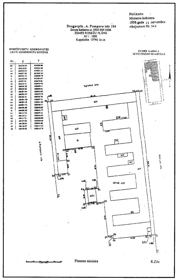
Par valsts mantas Daugavpilī, A.Pumpura ielā 104, saglabāšanu valsts īpašumā
1. Saglabāt valsts īpašumā un nodot Valsts nekustamā īpašuma aģentūras valdījumā nekustamo mantu — ēkas (būves) un zemesgabalu 19746 m2 platībā (zemes kadastra Nr. 0500 004 0306) — Daugavpilī, A.Pumpura ielā 104. Zemesgabala robežas norādītas pielikumā.
2. Šī rīkojuma 1.punktā minēto nekustamo mantu ierakstīt zemesgrāmatā uz valsts vārda Valsts nekustamā īpašuma aģentūras personā.
Ministru prezidenta vietā — vides aizsardzības un reģionālās attīstības ministrs, Ministru prezidenta biedrs A.Gorbunovs
Finansu ministrs R.Zīle