
Ministru kabineta rīkojums Nr. 471
Rīgā 1998.gada 29.septembrī (prot. Nr. 54, 8.§)
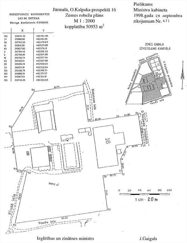
Par nekustamās mantas Jūrmalā, O.Kalpaka prospektā 16, saglabāšanu valsts īpašumā
1. Saglabāt valsts īpašumā un nodot Izglītības un zinātnes ministrijas valdījumā nekustamo mantu - ēkas, būves un zemesgabalu 50953 m2 platībā (zemes kadastra Nr. 1300 004 5716) - Jūrmalā, O.Kalpaka prospektā 16. Zemesgabala robežas norādītas pielikumā.
2. Izglītības un zinātnes ministrijai šī rīkojuma 1.punktā minēto nekustamo mantu noteiktā kārtībā ierakstīt zemesgrāmatā uz valsts vārda Izglītības un zinātnes ministrijas personā.
Ministru prezidents G.Krasts
Izglītības un zinātnes ministrs J.Gaigals