
Ministru kabineta rīkojums Nr. 318
Rīgā 1998.gada 17.jūnijā (prot. nr.31, 1 3.§)
Par zemesgabalu nodošanu privatizācijai
1. Saskaņā ar likumu "Par valsts un pašvaldību īpašuma objektu privatizāciju" nodot privatizācijai šī rīkojuma 1.pielikumā minētos zemesgabalus, kas ierakstīti zemesgrāmatā uz valsts vārda. Zemesgabalu robežas norādītas šī rīkojuma 2., 3., 4., 5., 6., 7., 8., 9., 10., 11., 12., 13., 14., 15., 16., 17., 18., 19., 20., 21., 22., 23. un 24.pielikumā.
2. Privatizācijas aģentūrai pārņemt savā valdījumā, sagatavot privatizācijai un privatizēt šī rīkojuma 1.pielikumā minētos zemesgabalus.
Ministru prezidents G.Krasts
Ekonomikas ministra vietā -
finansu ministrs R.Zīle
1.pielikums
Ministru kabineta
1998.gada 17.jūnija
rīkojumam nr.318
Privatizācijai nododamie zemesgabali
|
Nr. |
Adrese | Zemes kadastra nr. | Platība m2 | Ēku un būvju īpašnieks |
|
1 |
2 | 3 | 4 | 5 |
|
1. |
Rīga Nometņu iela 59 |
0100 057 0225 | 916 | Raivo Puriņš |
|
2. |
Rīga Kalnciema iela 96 |
0100 075 2023 | 4826 | Sabiedrība ar ierobežotu atbildību "LETTRI" |
|
3. |
Rīga Buļļu iela 45/47 |
0100 080 2063 | 7758 | Akciju sabiedrība "Prodimpekss" |
|
4. |
Rīga Buļļu iela 47 |
0100 080 2008 | 8405 | Akciju sabiedrība "Prodimpekss" |
|
5. |
Rīga Ogres iela 1 |
0100 072 2012 | 1890 | Akciju sabiedrība "Prodimpekss" |
|
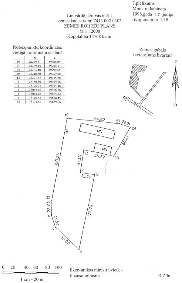
6. |
Lielvārde Druvas iela 1 |
7413 002 0303 | 14768 | Sabiedrība ar ierobežotu atbildību "LS" |
|
7. |
Aizkraukle Jaunceltnes iela 22a |
3201 001 0326 | 10353 | Ražošanas komercfirma ar ierobežotu atbildību "Agroserviss AN" |
|
8. |
Cēsis Rūpniecības iela 3a |
4201 003 0129 | 12882 | Sabiedrība ar ierobežotu atbildību "Vidzeme" |
|
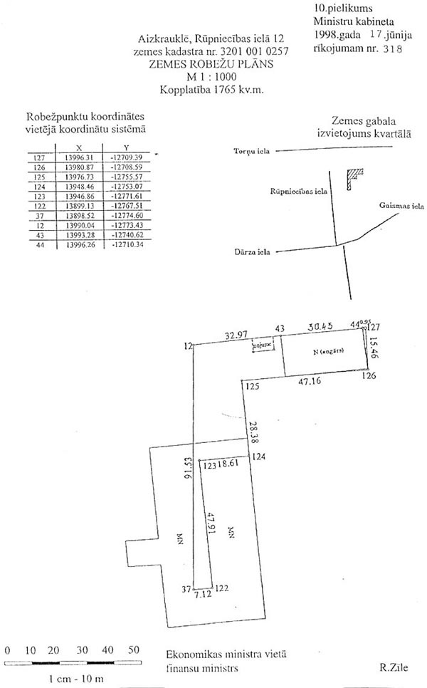
9. |
Aizkraukle Rūpniecības iela 12 |
3201 001 0257 | 1765 | A.Vorslava individuālais uzņēmums "Jards" |
|
10. |
Aizkraukle Rūpniecības iela 13 |
3201 001 0219 | 23680 | Sabiedrība ar ierobežotu atbildību "Agrotehnika" |
|
11. |
Aizkraukle Rūpniecības iela 13 |
3201 001 0220 | 9343 | Sabiedrība ar ierobežotu atbildību "Agrotehnika" |
|
12. |
Aizkraukle Torņu iela 12 |
3201 001 0221 | 879 | Sabiedrība ar ierobežotu atbildību "Agrotehnika" |
|
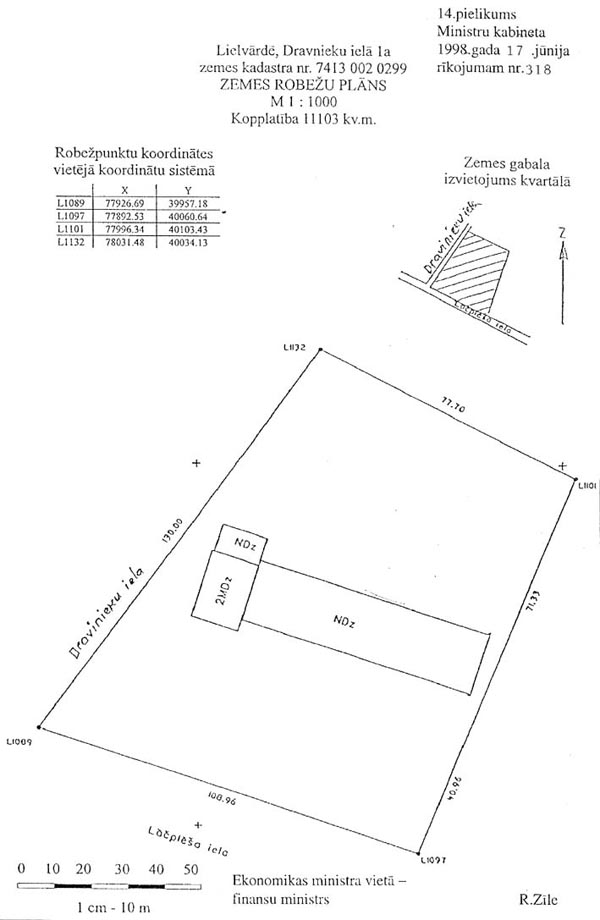
13. |
Lielvārde Dravnieku iela 1a |
7413 002 0299 | 11103 | Sabiedrība ar ierobežotu atbildību "Ogres rajona Lielvārdes Lauksaimniecības tehniskās apkopes un remonta biedrība "LLT"" |
|
14. |
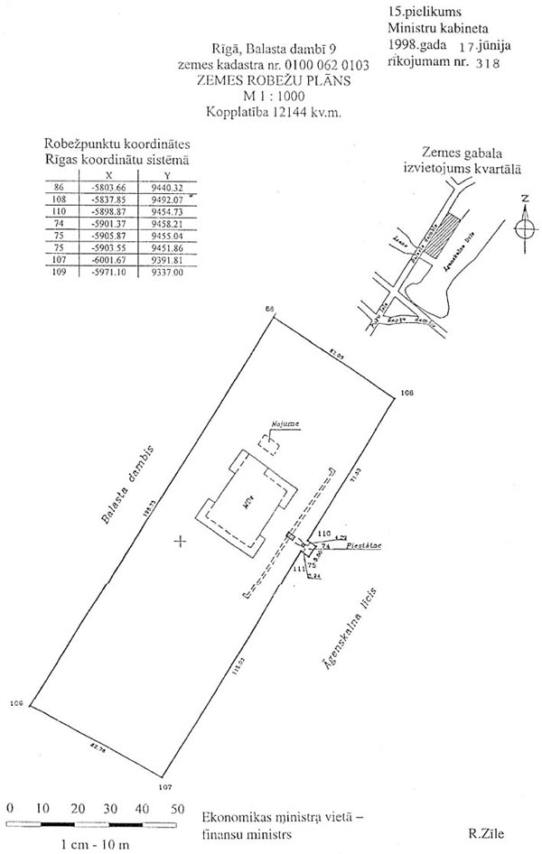
Rīga Balasta dambis 9 |
0100 062 0103 | 12144 | Sabiedrība ar ierobežotu atbildību "Rīgas kuģniecības kompānija" |
|
15. |
Rīga Balasta dambis 11 |
0100 061 0086 | 5483 | Sabiedrība ar ierobežotu atbildību "Rīgas kuģniecības kompānija" |
|
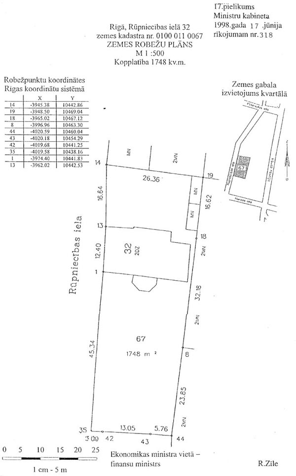
16. |
Rīga Rūpniecības iela 32 |
0100 011 0067 | 1748 | Sabiedrība ar ierobežotu atbildību "ALMIA" |
|
17. |
Rīga Gaigalas iela 41 |
0100 097 0087 | 117521 | Akciju sabiedrība "Latvijas Finieris" |
|
18. |
Rīga Skaistkalnes iela 1 |
0100 052 0174 | 4922 | Akciju sabiedrība "Latvijas Finieris" |
|
19. |
Rīga Patversmes iela 18 |
0100 017 0024 | 39098 | Akciju sabiedrība "Latvijas Finieris" |
|
20. |
Rīga Platā iela 38 |
0100 097 0012 | 33454 | Akciju sabiedrība "Latvijas Finieris" |
|
21. |
Rīga Platā iela 38 |
0100 097 0013 | 82070 | Akciju sabiedrība "Latvijas Finieris" |
|
22. |
Rīga Platā iela 38 |
0100 097 2006 | 40242 | Akciju sabiedrība "Latvijas Finieris" |
|
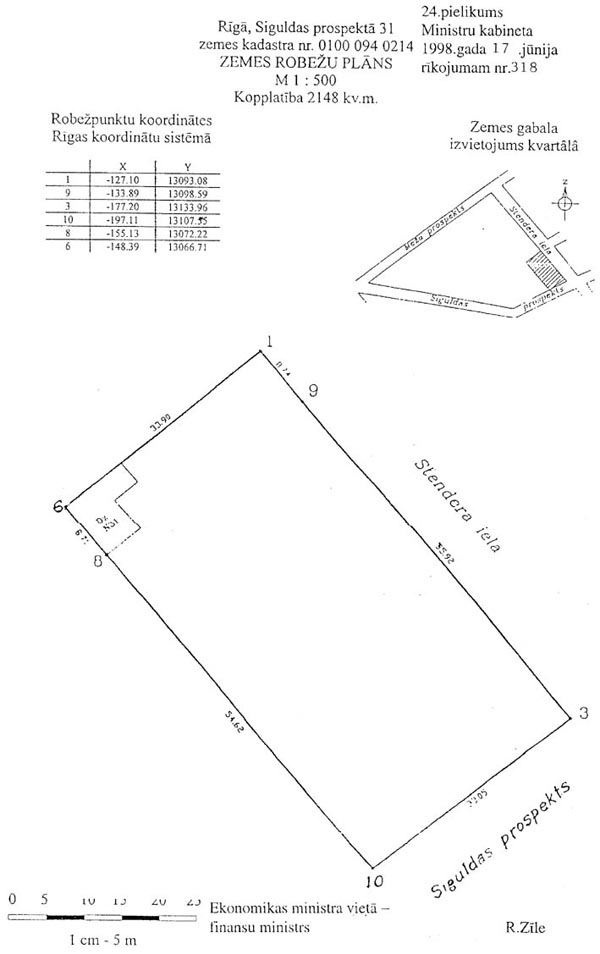
23. |
Rīga Siguldas prospekts 31 |
0100 094 0214 | 2148 | Dainis Tunsts |
Ekonomikas ministra vietā
-
finansu ministrs R.Zīle