
Ministru kabineta rīkojums Nr. 542
Rīgā 1997.gada 29.oktobrī (prot. nr.59 10.§)
Par valsts nekustamā īpašuma nodošanu Rīgas pašvaldības īpašumā
1. Saskaņā ar likuma “Par valsts un pašvaldību mantas atsavināšanas kārtību” 35.pantu nodot Rīgas pilsētas pašvaldībai zemes gabalu 3893 m2 platībā Rīgā, Bruņinieku ielā 10 (zemes kadastra nr. 0100 022 0001). Zemes gabala robežas norādītas 1.pielikumā.
2. Saskaņā ar likuma “Par valsts un pašvaldību dzīvojamo māju privatizāciju” Pārejas noteikumu 2.punktu un likuma “Par valsts un pašvaldību mantas atsavināšanas kārtību” 35.pantu nodot Rīgas pilsētas pašvaldībai nekustamo īpašumu:
2.1. Rīgā, F.Candera ielā 3 (zemes kadastra nr. 0100 076 0046), zemes gabala robežas norādītas 2.pielikumā;
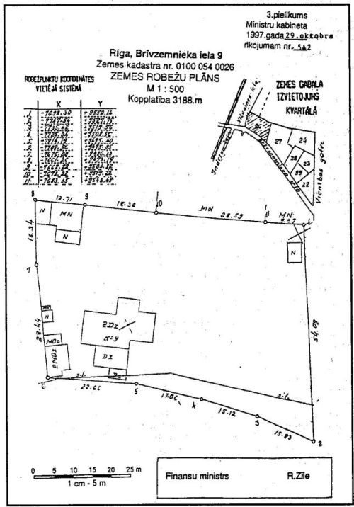
2.2. Rīgā, F.Brīvzemnieka ielā 9 (zemes kadastra nr. 0100 054 0026), zemes gabala robežas norādītas 3.pielikumā;
2.3. Rīgā, Visbijas prospektā 29 (zemes kadastra nr. 0100 094 0024), zemes gabala robežas norādītas 4.pielikumā.
Ministru prezidents G.Krasts
Finansu ministrs R.Zīle