
Ministru kabineta rīkojums Nr. 524
Rīgā 1997.gada 14.oktobrī (prot. Nr.57 15.§)
Par nekustamo īpašumu Rīgā, Vecmīlgrāvja ielā 11, Jēkabpils ielā 10 un Kalēju ielā 63, pārdošanu
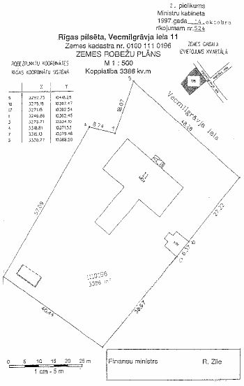
1. Saskaņā ar likuma "Par valsts un pašvaldību mantas atsavināšanas kārtību" 5.pantu atļaut Valsts nekustamā īpašuma aģentūrai pārdot izsolē nekustamo īpašumu Rīgā, Kalēju ielā 63, pēc tā ierakstīšanas zemesgrāmatā uz valsts vārda Finansu ministrijas personā, kā arī nekustamos īpašumus Rīgā, Vecmīlgrāvja ielā 11 un Jēkabpils ielā 10, kas ierakstīti zemesgrāmatā uz valsts vārda Finansu ministrijas personā (1.pielikums). Attiecīgās ēkas pārdot par tirgus cenu, bet tā nedrīkst būt zemāka par ēku inventarizācijas vērtību. Attiecīgos zemes gabalus pārdot par tirgus cenu, bet tā nedrīkst būt zemāka par zemes gabalu kadastrālo vērtību. Zemes gabalu robežas norādītas 2., 3. un 4.pielikumā.
2. Līgumā paredzēt, ka pircējs samaksu par ēkām veic latos, bet samaksu par zemi 50 procentu apmērā veic īpašuma kompensācijas sertifikātos un 50 procentu apmērā - latos.
3. Līgumu par šī rīkojuma 1.punktā minēto nekustamo īpašumu pārdošanu slēdz finansu ministrs vai viņa pilnvarota persona.
4. Iegūtos naudas līdzekļus pēc pārdošanas izdevumu segšanas ieskaitīt valsts budžetā.
5. Izdarīt Ministru kabineta 1996.gada 15.maija rīkojumā nr.165 "Par atsevišķu nekustamo īpašumu Rīgā saglabāšanu valsts īpašumā" (Latvijas Vēstnesis, 1996, 87.nr.) grozījumu un svītrot 1.4.apakšpunktu.
Ministru prezidents G.Krasts
Finansu ministrs R.Zīle
1.pielikums
Ministru kabineta
1997.gada 14.oktobra rīkojumam Nr.524
Nekustamo īpašumu saraksts
| Nr. p.k. |
Objekta nosaukums | Zemes platība (m2) |
Zemes kadastra Nr. | Adrese |
| 1. | Jaunbūve | 3386 | 0100 111 0196 | Rīga, Vecmīlgrāvja iela 11 |
| 2. | Divstāvu noliktavas ēka (liters nr.1) | 499 | 0100 039 0070 | Rīga, Jēkabpils iela 10 |
| 3. | Trīsstāvu ēka (liters nr.1) un divstāvu ēka (liters nr.2) | 522 | 0100 003 0075 | Rīga, Kalēju iela 63 |
Finansu ministrs R.Zīle