
Ministru kabineta rīkojums Nr.462
Rīgā 1997.gada 17.septembrī (prot. nr.52 8.§)
Par nekustamā īpašuma Jūrmalā, Rotas ielā 3, nodošanu Jūrmalas pilsētas pašvaldībai
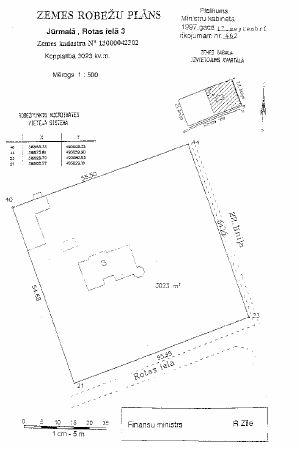
Saskaņā ar likuma “Par valsts un pašvaldību dzīvojamo māju privatizāciju” Pārejas noteikumu 2.punktu nodot Jūrmalas pilsētas pašvaldībai nekustamo īpašumu (dzīvojamo māju un zemi) Jūrmalā, Rotas ielā 3 (zemes kadastra nr. 1300 004 2302), kas reģistrēts zemesgrāmatā uz valsts vārda Finansu ministrijas personā. Zemes gabala robežas norādītas pielikumā.
Ministru prezidents G.Krasts
Finansu ministrs R.Zīle