
Ministru kabineta rīkojums Nr. 357
Rīgā 1997.gada 16.jūlijā (prot. nr. 40 7.§)
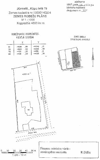
Par zemes gabalu Jūrmalā, Kāpu ielā 79
1. Saskaņā ar likumu "Par zemes reformu Latvijas Republikas pilsētās" un Civillikuma 1073.pantu Valsts nekustamā īpašuma aģentūrai pārdot Latvijas Republikas pilsonim Georgam Krūmkokam (personas kods 3010XX-XXXXX) - pašreizējam ēku īpašniekam un zemes gabala kopīpašniekam - dzīvojamās mājas uzturēšanai 37/43 domājamās daļas no zemes gabala ar kopējo platību 4303 m2 Jūrmalā, Kāpu ielā 79 (zemes kadastra nr. 1300 014 0204), kas reģistrēts zemesgrāmatā uz valsts vārda Finansu ministrijas personā. Zemes gabala robežas norādītas pielikumā.
2. Latvijas Hipotēku un zemes bankai noslēgt līgumu par šī rīkojuma 1.punktā minētā zemes gabala daļas pārdošanu un paredzēt, ka pircējs samaksu par zemi 50 procentu apmērā veic īpašuma kompensācijas sertifikātos un 50 procentu apmērā - latos. Attiecīgā zemes gabala daļu pārdot par tirgus cenu, bet tā nedrīkst būt zemāka par zemes gabala kadastrālo vērtību.
3. Iegūtos naudas līdzekļus pēc pārdošanas izdevumu segšanas ieskaitīt valsts īpašuma privatizācijas fondā.
Ministru prezidenta vietā - vides aizsardzības un reģionālās attīstības ministrs, Ministru prezidenta biedrs A.Gorbunovs
Finansu ministra vietā - zemkopības ministrs R.Dilba