
Ministru kabineta rīkojums Nr. 322
Rīgā 2001.gada 27.jūnijā (prot. Nr. 30, 17.§)
Par valsts meža zemes piešķiršanu zinātniskās izpētes vajadzībām
Saskaņā ar Meža likuma 49.pantu piešķirt valsts meža zemi 28936,9 hektāru platībā zinātniskās izpētes vajadzībām saskaņā ar zinātniskās izpētes mežu zemesgabalu sarakstu un plāniem (1.-9.pielikums).
Ministru prezidenta vietā - zemkopības ministrs A.Slakteris
Vides aizsardzības un reģionālās attīstības ministrs V.Makarovs
1.pielikums
Ministru kabineta
2001.gada 27.jūnija
rīkojumam Nr.322
Zinātniskās izpētes mežu zemesgabali
|
Zemesgabala numurs novadā |
Administratīvais rajons |
Pagasts, pilsēta |
Zemes kadastra numurs |
Platība |
|
1 |
2 |
3 |
4 |
5 |
|
I. Kalsnavas mežu novads |
||||
|
1. |
Aizkraukles |
Aiviekste |
3242-003-0010 |
2656,5 |
|
2. |
|
|
3242-003-0015 |
152,0 |
|
3. |
|
|
3242-003-0016 |
2,5 |
|
4. |
|
|
3242-008-0149 |
324,1 |
|
5. |
|
|
3242-008-0150 |
61,7 |
|
6. |
|
Vietalva |
3292-013-0026 |
93,0 |
|
7. |
|
|
3292-013-0027 |
209,7 |
|
8. |
Madonas |
Kalsnava |
7062-004-0024 |
223,3 |
|
9. |
|
|
7062-004-0035 |
32,6 |
|
10. |
|
|
7062-005-0067 |
425,0 |
|
11. |
|
|
7062-007-0018 |
527,6 |
|
12. |
|
|
7062-007-0019 |
158,0 |
|
13. |
|
|
7062-011-0175 |
65,0 |
|
14. |
|
|
7062-011-0176 |
212,1 |
|
15. |
|
|
7062-011-0177 |
8,0 |
|
16. |
|
|
7062-011-0186 |
124,5 |
|
17. |
|
|
7062-011-0187 |
2,3 |
|
18. |
|
|
7062-011-0189 |
347,5 |
|
19. |
|
|
7062-011-0217 |
10,3 |
|
20. |
|
|
7062-011-0219 |
5,5 |
|
21. |
|
|
7062-011-0221 |
16,5 |
|
22. |
|
|
7062-011-0223 |
98,7 |
|
23. |
|
|
7062-011-0259 |
3,2 |
|
24. |
|
|
7062-011-0279 |
12,1 |
|
25. |
|
|
7062-011-0339 |
0,7 |
|
26. |
|
|
7062-011-0357 |
5,8 |
|
27. |
|
|
7062-011-0358 |
23,6 |
|
28. |
|
|
7062-011-0362 |
0,2 |
|
29. |
|
|
7062-012-0048 |
17,7 |
|
30. |
|
Ļaudona |
7070-005-0045 |
384,3 |
|
31. |
|
|
7070-012-0014 |
900,5 |
|
32. |
|
|
7070-012-0015 |
222,7 |
|
|
Kopā |
7327,2 |
||
|
II. Mežoles mežu novads |
||||
|
1. |
Cēsu |
Drusti |
4248-003-0058 |
66,0 |
|
2. |
|
|
4248-003-0059 |
51,5 |
|
3. |
|
|
4248-003-0060 |
22,8 |
|
4. |
|
|
4248-005-0018 |
564,3 |
|
5. |
|
|
4248-005-0019 |
149,5 |
|
6. |
|
|
4248-005-0020 |
327,2 |
|
7. |
|
|
4248-005-0021 |
282,2 |
|
8. |
|
|
4248-005-0026 |
27,3 |
|
9. |
Valkas |
Launkalne |
9470-005-0076 |
234,5 |
|
10. |
|
|
9470-005-0077 |
127,4 |
|
11. |
|
|
9470-005-0078 |
1594,9 |
|
12. |
|
|
9470-005-0079 |
31,5 |
|
13. |
|
|
9470-005-0080 |
149,8 |
|
14. |
|
|
9470-005-0081 |
1,8 |
|
15. |
|
|
9470-005-0082 |
1,1 |
|
16. |
|
|
9470-005-0083 |
14,8 |
|
17. |
|
|
9470-006-0020 |
450,1 |
|
18. |
|
|
9470-007-0004 |
923,7 |
|
19. |
|
|
9470-008-0067 |
416,7 |
|
20. |
|
|
9470-009-0014 |
700,9 |
|
21. |
|
|
9470-009-0015 |
19,2 |
|
22. |
|
|
9470-009-0016 |
1090,0 |
|
23. |
|
|
9470-009-0017 |
672,7 |
|
24. |
|
|
9470-009-0018 |
3,7 |
|
25. |
|
|
9470-010-0195 |
282,7 |
|
26. |
|
|
9470-011-0013 |
813,2 |
|
27. |
|
|
9470-011-0014 |
81,0 |
|
28. |
|
|
9470-011-0015 |
53,0 |
|
29. |
|
|
9470-012-0062 |
151,9 |
|
30. |
|
|
9470-013-0068 |
271,5 |
|
31. |
|
|
9470-013-0069 |
199,3 |
|
32. |
|
|
9470-013-0070 |
22,7 |
|
33. |
|
|
9470-014-0053 |
14,7 |
|
34. |
|
|
9470-014-0104 |
8,6 |
|
35. |
|
|
9470-014-0185 |
22,4 |
|
36. |
|
|
9470-014-0186 |
23,5 |
|
37. |
|
|
9470-014-0187 |
14,4 |
|
38. |
|
|
9470-014-0188 |
18,8 |
|
39. |
|
Variņi |
9490-001-0049 |
4,2 |
|
40. |
|
|
9490-001-0075 |
59,3 |
|
41. |
|
|
9490-005-0069 |
16,0 |
|
|
Kopā |
9980,8 |
||
|
III. Jelgavas mežu novads |
||||
|
1. |
Jelgavas |
Jelgavas pilsēta |
0900-028-0201 |
29,2 |
|
2. |
|
|
0900-028-0221 |
22,0 |
|
3. |
|
|
0900-028-0249 |
7,0 |
|
4. |
|
|
0900-033-0023 |
67,3 |
|
5. |
|
|
0900-033-0024 |
58,3 |
|
6. |
|
|
0900-034-0014 |
122,0 |
|
7. |
|
|
0900-035-0006 |
126,0 |
|
8. |
|
Cenas |
5444-001-0047 |
3,9 |
|
9. |
|
|
5444-001-0048 |
1577,4 |
|
10. |
|
|
5444-002-0120 |
256,1 |
|
11. |
|
|
5444-002-0121 |
75,3 |
|
12. |
|
|
5444-002-0122 |
107,8 |
|
13. |
|
|
5444-002-0123 |
186,9 |
|
14. |
|
|
5444-002-0135 |
0,6 |
|
15. |
|
|
5444-005-0389 |
34,2 |
|
16. |
|
|
5444-006-0158 |
269,5 |
|
17. |
|
Ozolnieki |
5466-001-0721 |
63,4 |
|
18. |
|
|
5466-001-0722 |
66,0 |
|
19. |
|
|
5466-001-0723 |
68,0 |
|
20. |
|
|
5466-001-0724 |
58,0 |
|
21. |
|
Valgunde |
5486-010-0358 |
347,9 |
|
22. |
|
|
5486-012-0004 |
21,5 |
|
23. |
|
|
5486-012-0005 |
131,0 |
|
|
Kopā |
3699,3 |
||
|
IV. Auces mežu novads |
||||
|
1. |
Dobeles |
Auces pilsētas lauku teritorija |
4625-002-0024 |
108,1 |
|
2. |
|
|
4625-002-0025 |
29,5 |
|
3. |
|
|
4625-002-0026 |
398,0 |
|
4. |
|
|
4625-003-0065 |
94,2 |
|
5. |
|
|
4625-003-0066 |
64,8 |
|
6. |
|
|
4625-003-0067 |
400,0 |
|
7. |
|
|
4625-003-0068 |
28,7 |
|
8. |
|
Bēne |
4650-002-0076 |
22,0 |
|
9. |
|
Lielauce |
4676-003-0063 |
0,3 |
|
10. |
|
|
4676-003-0179 |
5,7 |
|
11. |
|
|
4676-003-0180 |
69,5 |
|
12. |
|
|
4676-004-0148 |
105,6 |
|
13. |
|
|
4676-004-0174 |
229,5 |
|
14. |
|
|
4676-004-0175 |
281,0 |
|
15. |
|
|
4676-004-0183 |
58,0 |
|
16. |
|
|
4676-004-0184 |
38,9 |
|
17. |
|
|
4676-004-0185 |
356,2 |
|
18. |
|
Vītiņi |
4694-002-0171 |
314,9 |
|
19. |
|
|
4694-002-0172 |
693,5 |
|
20. |
|
|
4694-002-0173 |
29,4 |
|
21. |
|
|
4694-002-0174 |
51,0 |
|
22. |
|
|
4694-002-0175 |
46,6 |
|
23. |
|
|
4694-002-0179 |
1,9 |
|
24. |
|
|
4694-003-0094 |
179,0 |
|
25. |
|
|
4694-003-0095 |
144,0 |
|
26. |
|
|
4694-003-0096 |
17,9 |
|
27. |
|
|
4694-004-0055 |
33,0 |
|
28. |
|
|
4694-004-0056 |
3,8 |
|
29. |
Saldus |
Vadakste |
8492-001-0019 |
196,0 |
|
30. |
|
|
8492-002-0028 |
290,6 |
|
|
Kopā |
4291,9 |
||
|
V. Šķēdes mežu novads |
||||
|
1. |
Talsu |
Laidze |
8868-013-0001 |
188,9 |
|
2. |
|
Lauciene |
8870-003-0012 |
335,4 |
|
3. |
|
|
8870-003-0013 |
232,9 |
|
4. |
|
|
8870-009-0024 |
48,5 |
|
5. |
|
|
8870-010-0069 |
25,5 |
|
6. |
|
|
8870-011-0234 |
24,0 |
|
7. |
|
|
8870-011-0235 |
19,5 |
|
8. |
|
|
8870-012-0051 |
221,0 |
|
9. |
|
|
8870-013-0040 |
220,1 |
|
10. |
|
|
8870-018-0033 |
49,4 |
|
11. |
|
|
8870-018-0034 |
134,5 |
|
12. |
|
|
8870-019-0042 |
286,0 |
|
13. |
|
Lībagi |
8872-001-0007 |
0,9 |
|
14. |
|
|
8872-002-0018 |
84,0 |
|
15. |
|
|
8872-005-0026 |
174,6 |
|
16. |
|
|
8872-009-0016 |
177,2 |
|
17. |
|
|
8872-011-0023 |
125,6 |
|
18. |
|
Vandzene |
8894-012-0113 |
161,9 |
|
19. |
|
|
8894-012-0114 |
105,0 |
|
20. |
|
|
8894-012-0115 |
49,0 |
|
21. |
|
|
8894-012-0120 |
41,6 |
|
22. |
|
|
8894-012-0122 |
4,6 |
|
|
Kopā |
2710,0 |
||
|
VI. Taurenes mežu novads |
||||
|
|
Cēsu |
Dzērbene |
4250-008-0064 |
105,0 |
|
|
Kopā |
105,0
|
||
|
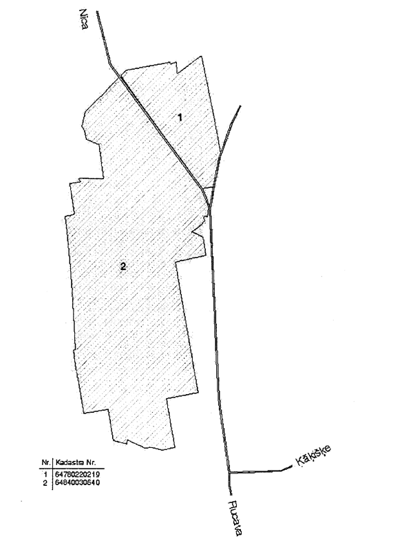
VII. Rucavas mežu novads |
||||
|
1. |
Liepājas |
Nīca |
6478-022-0219 |
135,7 |
|
2. |
|
Rucava |
6484-003-0640 |
687,2 |
|
|
Kopā |
822,9 |
||
|
Kopā |
28936,9 |
|||
Vides aizsardzības un reģionālās attīstības ministrs V.Makarovs
2. pielikums
Ministru kabineta
2001. gada 27. jūnija
rīkojumam Nr. 322
Zinātniskās izpētes mežu novadi
Vides aizsardzības un reģionālās attīstības ministrs V.Makarovs
3. pielikums
Ministru kabineta
2001. gada 27. jūnija
rīkojumam Nr. 322
Kalsnavas mežu novads
Vides aizsardzības un reģionālās attīstības ministrs V.Makarovs
4. pielikums
Ministru kabineta
2001. gada 27. jūnija
rīkojumam Nr. 322
Mežoles mežu novads
Vides aizsardzības un reģionālās attīstības ministrs V.Makarovs
5. pielikums
Ministru kabineta
2001. gada 27. jūnija
rīkojumam Nr. 322
Jelgavas mežu novads
Vides aizsardzības un reģionālās attīstības ministrs V.Makarovs
6. pielikums
Ministru kabineta
2001. gada 27. jūnija
rīkojumam Nr. 322
Auces mežu novads
Vides aizsardzības un reģionālās attīstības ministrs V.Makarovs
7. pielikums
Ministru kabineta
2001. gada 27. jūnija
rīkojumam Nr. 322
Šķēdes mežu novads
Vides aizsardzības un reģionālās attīstības ministrs V.Makarovs
8. pielikums
Ministru kabineta
2001. gada 27. jūnija
rīkojumam Nr. 322
Taurenes mežu novads
Vides aizsardzības un reģionālās attīstības ministrs V.Makarovs
9. pielikums
Ministru kabineta
2001. gada 27. jūnija
rīkojumam Nr. 322
Rucavas mežu novads
Vides aizsardzības un reģionālās attīstības ministrs V.Makarovs