
Ventspils saistošie noteikumi Nr.5
Ventspilī 2005.gada 21.novembrī
Izdoti saskaņā ar Likuma par ostām 6.pantu
Ventspils brīvostas noteikumi
I. Vispārējā daļa
1. Ventspils brīvostas (turpmāk tekstā – Brīvosta) noteikumi (turpmāk tekstā – Noteikumi) ir obligāti visām juridiskām un fiziskām personām, kas darbojas vai uzturas Ventspils brīvostā.
2. Noteikumos lietotie termini:
2.1. kuģis – jebkurš kuģošanas līdzeklis – inženiertehniska ierīce, kas konstruktīvi paredzēta izmantošanai uz ūdens;
2.2. ostas palīgkuģi – kuģi, kas veic apkalpošanas funkcijas Brīvostā – velkoņi, liellaivas, peldošie krāni, bunkurētāji, piesārņoto ūdeņu, un atkritumu savācēji, ūdenslīdēju u.c. kuģi –, kuri pierakstīti Ventspilī un ir Brīvostas pārvaldes vai Brīvostas uzņēmumiem piederoši vai nomāti;
2.3. maksimālā iegrime – atļautā maksimālā kuģa iegrime pie vidējā ilggadējā jūras līmeņa;
2.4. ārkārtēji apstākļi – apstākļi, kas reāli apdraud kuģi, tā apkalpi un pasažierus, kravu vai apkārtējo vidi;
2.5. Kuģa aģents – kuģa īpašnieka vai kapteiņa pilnvarota juridiska persona, kas darbojas saskaņā ar kuģu aģentu darbību regulējošiem normatīvajiem aktiem un kurai ir līgumsaistības ar Brīvostu.
3. Noteikumos lietotie saīsinājumi:
3.1. BT – bruto tilpība;
3.2. L – kuģa maksimālais garums;
3.3. B – kuģa maksimālais platums;
3.4. T – kuģa maksimālā iegrime;
3.5. IMDG kodekss – starptautiskais jūras bīstamo kravu kodekss, kuros noteiktas šādas klases:
3.5.1. 1.klase – sprāgstvielas;
3.5.2. 2.klase – saspiestas vai sašķidrinātas gāzes;
3.5.3. 3.klase – viegli uzliesmojoši šķidrumi;
3.5.4. 4.klase – viegli uzliesmojošas cietas vielas;
3.5.5. 5.klase – oksidējošas vielas;
3.5.6. 6.klase – indīgas, lipīgas un derdzīgas vielas;
3.5.7. 7.klase – radioaktīvas vielas;
3.5.8. 8.klase - korodētāji;
3.5.9. 9.klase – dažādas vielas, kas neietilpst citās klasēs, bet uzskatāmas par bīstamām;
3.6. SOLAS 74 – Starptautiskā konvencija par cilvēku dzīvības aizsardzību uz jūras;
3.7. MARPOL 73/78 – Starptautiskā konvencija par naftas piesārņojuma novēršanu no kuģiem un tās 1978.gada protokols;
3.8. HELSINKI-92 – 1992.gada Helsinku konvencija par Baltijas jūras reģiona jūras vides aizsardzību;
3.9. COLREG 72 – 1972.gada konvencija par starptautiskiem kuģu sadursmju novēršanas noteikumiem;
3.10. ISGOTT – Starptautiskā naftas tankkuģu un termināļu drošības rokasgrāmata;
3.11. KSD – kuģu satiksmes dienests;
3.12. KRLS – krasta radiolokācijas stacija;
3.13. UĪV – ultra īsviļņi;
3.14. ISPS kodekss – starptautiskais kuģu un ostu iekārtu aizsardzības kodekss.
4. Saskaņā ar Latvijas Republikas normatīvajiem aktiem uz visiem kuģiem, kas atrodas Brīvostā, jābūt paceltiem kuģa reģistrācijas valsts un Latvijas Republikas karogiem.
II. Brīvostas robežas
5. Ventspils brīvostas robežas ir noteiktas, pamatojoties uz 2002.gada 25.jūnija Ministru kabineta noteikumiem Nr.257 “Noteikumi par Ventspils ostas robežu noteikšanu”, un ietver:
5.1. akvatoriju ar:
5.1.1. reidu, ko norobežo līnijas, kuras savieno punktus ar sekojošām koordinātām (Latvijas Jūras administrācijas Hidrogrāfijas dienesta karte Nr.2257), (1.pielikums):
5.1.1.1. 57o 20;9 N 21o 29;3 E
5.1.1.2. 57o 25;4 N 21o 22;6 E
5.1.1.3. 57o 32;3 N 21o 30;3 E
5.1.1.4. 57o 26;3 N 21o 36;0 E
5.1.2. priekšostu;
5.1.3. Ventas upi no priekšostas līdz iedomātai līnijai, kas šķērso Ventas upi, savienojot Packules upes izteku Ventas labajā krastā ar Ābolu ielu kreisajā krastā;
5.2. sauszemes teritoriju abos Ventas krastos no Brīvostas ieejas vārtiem līdz Packules upei Ventas labajā krastā un Ābolu ielai kreisajā krastā.
6. Brīvostas teritoriju un piestātnes, kuras ir valsts vai pašvaldības īpašumā, pārvalda Brīvostas pārvalde.
III. Kuģu izmēri
7. Maksimālās iegrimes Brīvostā:
7.1. uz kuģu ceļiem (fārvateriem):
7.1.1. Ventspils–Rietumu kuģu ceļā no bojas “A” līdz jūras vārtiem – 15,0 m;
7.1.2. Ventspils–Ziemeļu kuģu ceļā no bojas “B” līdz kuģu ceļu (fārvateru) sadalīšanās vietai pie bojām “3–4” – 12,5 m;
7.2. priekšostā – 15,0 m;
7.3. Ventas kanālā no Priekšostas apgriešanās baseina līdz iedomātai līnijai, kas savieno piestātnes Nr.7A un Nr.16 – 14,1 m; no iedomātām līnijām, kas savieno piestātnes Nr.8 un Nr.15 līdz piestātnēm Nr.9A un Nr.13 – 13,2 m, no piestātnēm Nr.9A un Nr.13 līdz piestātnēm Nr.10 un Nr.13A – 11,8 m; piestātnes Nr.11 rajonā – 9,5 m.
8. Brīvostas akvatorijā ir divi kuģu apgriešanās baseini:
8.1. Priekšostas apgriešanās baseins kuģiem, kas nav garāki par 270 m un kuru iegrime nepārsniedz 15,0 m;
8.2. Ventas upes apgriešanās baseins, kurš atrodas starp piestātnēm Nr.5 un Nr.16, kuģiem, kas nav garāki par 240 m un kuru iegrime nepārsniedz 13,2 m.
9. Atbilstoši ūdens līmeņa svārstībām vai kādu citu iemeslu dēļ, Brīvostas kapteinis var noteikt atšķirīgas maksimālās iegrimes nekā tas noteikts šo noteikumu 7., 8. un 11.punktā.
10. Pie Brīvostas piestātnēm var pietauvot šādu izmēru kuģus:
10.1. Lejamkravu rajonā:
10.1.1. piestātnē Nr.27 - L 80 m, B 15,0 m;
10.1.2. piestātnēs Nr.28, 29 - L 180 m, B 26,0 m;
10.1.3. piestātnēs Nr.30, 31 - L 228 m, B 32,0 m;
10.1.4. piestātnēs Nr.32, 33 - L 270 m, B 45,0 m;
10.1.5. piestātnē Nr.34 - L 150 m, B 22,0 m;
10.1.6. piestātnē Nr.35A - L 195 m, B 32,0 m;
10.1.7. piestātnē Nr.36 - L 245 m, B 45,0 m;
10.2. Sauskravu rajonā:
10.2.1. piestātnēs Nr.1, 2, 4 - L 230 m, B 32,5 m;
10.2.2. piestātnēs Nr.3, 4A - L 240 m, B 32,5 m;
10.2.3. piestātnē Nr.7A - L 240 m, B 32,5 m;
10.2.4. piestātnēs Nr.8, 9 - L 200 m, B 32,5 m;
10.2.5. piestātnē Nr.10 - L 225 m, B 32,5 m;
10.2.6. piestātnē Nr.11 - L205 m, B 32,5 m;
10.2.7. piestātnēs Nr.13,14 - L 130 m, B 20,0 m;
10.2.8. piestātnēs Nr.15, 16 - L 240 m, B 32,5 m;
10.2.9. piestātnēs Nr.16A - L 140 m, B 25,0 m;
10.2.10. piestātnē Nr.17 - L 200 m, B 28,0 m.
11. Zem autoceļa tilta pāri Ventas upei pie vidējā ilggadējā jūras līmeņa var iziet kuģis ar šādiem maksimāliem izmēriem:
11.1. virsūdens konstruktīvais augstums 7,0 m;
11.2. platums 20,0 m;
11.3. maksimālā iegrime 5,0 m.
IV. Kuģu satiksmes dienests un krasta radiolokācijas stacija
12. Kuģu satiksmi Brīvostā regulē Kuģu satiksmes dienests (KSD), kas ir Brīvostas kapteiņa dienesta struktūrvienība. Jebkāda kuģu kustība Brīvostas akvatorijā bez KSD atļaujas ir aizliegta.
13. Kuģis līdz ieiešanai Brīvostas akvatorijā nodibina UĪV radiosakarus ar KSD un pēc šo noteikumu 12.punktā minētās atļaujas saņemšanas kuģa kapteinis izpilda KSD norādījumus par tālāko rīcību.
14. Kuģis atkārto visus KSD dotos norādījumus. Gadījumā, ja kuģim tie nav pieņemami vai izpildāmi, tas paziņo par savām iespējām un saskaņo tālāko rīcību. Ja 20 minūšu laikā kuģa kustība netiek uzsākta, atļauju pieprasa no jauna.
15. KSD un KRLS strādā nepārtrauktā diennakts režīmā. Sakari notiek pa UĪV radiosakaru 9. un 16.kanālu. Izsaukuma signāls – “Ventspils kuģu satiksme”.
16. KSD organizē kuģu satiksmi rindas kārtībā, atbilstoši to pienākšanai reidā vai gatavībai iziet no Brīvostas. Ārpus rindas kuģu satiksme Brīvostā tiek organizēta šādā secībā:
16.1. ārkārtējos apstākļos nonākušie kuģi un kuģi, kuri dodas sniegt palīdzību;
16.2. Latvijas Republikas valsts dienestu kuģi, kuri veic savus dienesta pienākumus;
16.3. pasažieru un kravas-pasažieru kuģi;
16.4. līnijkuģi;
16.5. tankkuģi ar kravu;
16.6. kuģi ar bīstamu kravu (1., 2., 3., 4., 5., 6., 7., 8., 9.klase pēc IMDG kodeksa).
17. KSD galvenie uzdevumi ir:
17.1. organizēt drošu kuģu satiksmi Brīvostas akvatorijā;
17.2. reģistrēt kuģu satiksmei nepieciešamos datus, kontrolēt automātiskās identifikācijas sistēmas kuģu datu atbilstību;
17.3. nodrošināt kapteini un loci ar KRLS informāciju;
17.4. nodrošināt kuģus ar navigācijas un hidrometeoroloģiskajām ziņām;
17.5. koordinēt un norādīt kuģu stāvēšanu uz enkuriem, atbilstoši noteiktajiem rajoniem;
17.6. piedalīties avārijas/glābšanas darbu koordinēšanā Brīvostā;
17.7. dot atļauju zemūdens darbu uzsākšanai Brīvostā, vai rīkojumu to pārtraukšanai;
17.8. koordinēt grunts padziļināšanas kuģu darbību un kuģu satiksmi šo darbu laikā.
18. No kuģiem, kuri stāv reidā vai pie piestātnēm Brīvostā, laivas drīkst nolaist tikai ar KSD atļauju, izņemot gadījumus, kas saistīti ar cilvēku glābšanu. Pēc laivu izmantošanas tām jābūt paceltām uz kuģa.
19. KRLS izmantošana, neatkarīgi no laika apstākļiem, ir obligāta:
19.1. ja kuģis ir garāks par 150 m;
19.2. ja kuģa iegrime ir lielāka par 11,5 m;
19.3. tankkuģim ar kravu.
20. KRLS izmantošana ir obligāta kuģiem, kas ir garāki par 70 m, ja:
20.1. redzamība ir mazāka par 2 jūdzēm;
20.2. vēja ātrums ir lielāks par 8 m/sek.
21. KRLS izmantošana neatbrīvo kuģa kapteini no atbildības par kuģa vadīšanu. Informācijai, kuru saņem kuģa kapteinis, ir tikai rekomendējošs raksturs.
22. KRLS pakalpojuma sākuma un beigu momentus kuģim paziņo KSD. KRLS vienlaicīgi apkalpo tikai vienu kuģi, pārējiem kuģiem tajā laikā sniedzot tikai konsultācijas. Vizuālā un audio informācija tiek saglabāta 48 stundas, nepieciešamības gadījumā uz neierobežotu laiku.
V. Loču pakalpojumi
23. Ienākot vai izejot no Brīvostas, kā arī pārvietojoties no vienas piestātnes uz citu, loča pakalpojumi ir obligāti visiem kuģiem, kas ir garāki par 70 m, kā arī tankkuģiem, neatkarīgi no to garuma. Šīs prasības neattiecas uz ostas palīgkuģiem.
24. Kuģis uzņem vai nodod loci pie “A” vai “B” bojas. Sarežģītos hidrometeoroloģiskos apstākļos, kad loča uzņemšana vai nodošana pie minētajām bojām nav iespējama, šī vieta, saskaņojot to ar kuģa kapteini, var tikt mainīta.
25. Iespējamās atkāpes no prasībām par loču pakalpojumiem nosaka Brīvostas kapteinis, kurš var ļaut kabotāžas kuģiem, regulārās satiksmes un līnijkuģiem ienākt vai iziet no Brīvostas, kā arī pārvietoties Brīvostas akvatorijā bez loča tad, ja šo kuģu kapteiņi pēc attiecīgās zināšanu pārbaudes saņēmuši atļauju kuģošanai neizmantojot loča pakalpojums.
VI. Velkoņu pakalpojumi
26. Nepieciešamo velkoņu skaitu, kuģim ienākot vai izejot no Brīvostas, vai veicot pārtauvošanas operācijas, nosaka kuģa kapteinis, saskaņojot to ar loci, atbilstoši faktiskajiem laika apstākļiem un citiem faktoriem.
27. Vismaz viena velkoņa izmantošana ir obligāta visiem tankkuģiem, kuģiem ar bīstamu kravu (1., 2., 3., 4., 5., 6., 7., 8., 9.klase pēc IMDG kodeksa), ja to garums pārsniedz 70 m. Vismaz divu velkoņu izmantošana ir obligāta kuģiem, kuru garums ir lielāks par 150 m. Šīs prasības neattiecas uz ostas palīgkuģiem.
28. Tankkuģiem un kuģiem ar bīstamu kravu (1., 2., 3., 4., 5., 6., 7., 8., 9.klase pēc IMDG kodeksa), kuri aprīkoti ar sānskrūvi un kuru garums nepārsniedz 150 m, obligāti ir jāizmanto viens velkonis (var tikt izmantots režīmā “pavadībā” (“stand by”)). Sauskravu kuģiem, kuri aprīkoti ar sānskrūvi, velkoņu izmantošana vai to skaits var tikt noteikts, ievērojot labās jūras prakses principus, atbilstoši faktiskajiem laika apstākļiem vai citiem faktoriem.
29. Brīvostas akvatorijā, neatkarīgi no vilkšanas veida, katrs velkonis var vilkt (stumt) tikai vienu kuģi.
30. Pašgājēja kuģa vilkšanas operāciju vada šī kuģa kapteinis, neatkarīgi no tā, vai šī kuģa dzinēji strādā vai nestrādā.
31. Velkoņu un velkamo objektu, izņemot velkoņus ar liellaivām, iziešanas noformēšanai Brīvostas kapteiņa dienestā iesniedz:
31.1. pārgājiena maršruta aprakstu un shēmu;
31.2. Latvijas Jūras administrācijas vai tās pilnvarotas kuģu klasifikācijas sabiedrības vienreizēju atļauju pārgājienam.
VII. Kuģu stāvēšana uz enkura
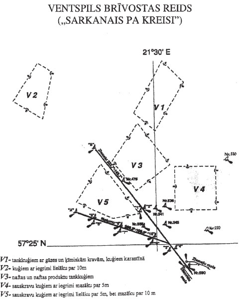
32. Brīvostas akvatorijā un tās tuvumā ir paredzētas šādas enkurvietas:
32.1. V1 – kuģiem karantīnā, gāzes un ķīmisko kravu tankkuģiem;
32.2. V2 – kuģiem, kuru iegrime lielāka par 10 m;
32.3. V3 – naftas un naftas produktu tankkuģiem un sauskravu kuģiem ar bīstamām kravām (1., 2., 3., 4., 5., 6., 7., 8., 9.klase pēc IMDG kodeksa);
32.4. V4 – sauskravas kuģiem, kuru iegrime mazāka par 5 m;
32.5. V5 – sauskravas kuģiem, kuru iegrime lielāka par 5 m, bet mazāka par 10 m
(Latvijas Jūras administrācijas Hidrogrāfijas dienesta karte Nr.2257, 1.pielikums).
33. Uz kuģu ceļiem (fārvateriem), priekšostā un Ventas upē stāvēšana uz enkuriem ir aizliegta.
34. Ja kuģis stājas uz enkura, kapteinis paziņo KSD peilējumu un distanci no kuģa uz Ziemeļa mola bāku.
35. Tumšā diennakts laikā, stāvot uz enkura, kuģa klājam jābūt labi apgaismotam.
VIII. Kuģu satiksme
36. Uz kuģu ceļiem (fārvateriem) un ostā, kuģiem, kas ir garāki par 70 m, vienlaicīga kustība pretējos virzienos ir aizliegta.
37. Gāzes un ķīmisko kravu tankkuģiem un sauskravu kuģiem, kas nav garāki par 185 m, naftas un naftas produktu tankkuģiem, kas nav garāki par 235 m, ienākšana vai iziešana no Brīvostas atļauta, ja vēja ātrums nepārsniedz 14 m/sek. vai redzamība nav mazāka par 2 jūras jūdzēm.
38. Gāzes un ķīmisko kravu tankkuģiem un sauskravu kuģiem, kas ir garāki par 185 m, naftas un naftas produktu tankkuģiem, kas ir garāki par 235 m, ienākšana vai iziešana no Brīvostas atļauta, ja vēja ātrums nepārsniedz 8 m/sek. vai redzamība nav mazāka par 2 jūras jūdzēm. Brīvostas kapteinis vai viņa pilnvarotā persona, vienojoties ar kuģa kapteini, var atļaut šo kuģu ienākšanu ostā vai iziešanu no tās, ja vēja ātrums nepārsniedz 14 m/sek. Tumšā diennakts laikā šo kuģu iespējamo ienākšanu vai iziešanu locis saskaņo ar kuģa kapteini.
39. Kuģu satiksme Brīvostas akvatorijā tiek pārtraukta pie redzamības mazākas par 0,5 jūras jūdzēm vai, ja vēja ātrums pārsniedz 14 m/sek. Ar Brīvostas kapteiņa atļauju atsevišķos gadījumos kuģu satiksmi var atļaut, ja vēja ātrums lielāks par 14 m/sek.; ja vējš ir no krasta puses.
39.1. Ierobežojumi, kas minēti šo noteikumu 37. un 38.punktā, nav attiecināmi uz kravas-pasažieru kuģiem (prāmjiem). Stiprā vējā šo kuģu ienākšanu vai iziešanu saskaņo kuģa un Brīvostas kapteiņi.
40. Kuģim, arī velkamam, esot gaitā priekšostā un Ventas upē, jābūt gatavam izmest enkurus.
41. Buru kuģiem bez mehāniskā dzinēja ienākšana vai iziešana no Brīvostas atļauta tikai ar velkoņa palīdzību. Kuģiem ar zemūdens spārniem kustība Brīvostas akvatorijā atļauta tikai ūdens izspaida stāvoklī. Maziem kuģiem un jahtām pārvietošanās Ventas upē atļauta tikai ar dzinēju.
42. Visi kuģi, kas ir īsāki par 70 metriem un kuru iegrime mazāka par 4 metriem, izņemot tankkuģus ar gāzes un ķīmiskajām kravām, ienākot vai izejot no Brīvostas, ievēro, ka:
42.1. jādod ceļš kuģim, kurš iet pa kuģu ceļu (fārvateru);
42.2. ieiešanu vai iziešanu no Brīvostas KSD var atļaut caur ziemeļu un dienvidu sektoriem, neizmantojot kuģu ceļus (fārvaterus):
42.3. Ziemeļu sektors robežojas ar krasta līniju un līnijām, kuras savieno punktus:
42.3.1. 57° 24;8 N 21° 31;2 E;
42.3.2 .57° 29;2 N 21° 34;1 E.
42.4. Dienvidu sektors robežojas ar krasta līniju un līnijām, kuras savieno punktus:
42.4.1. 57° 24;7 N 21° 31;1 E;
42.4.2. 57° 25;8 N 21° 23;4 E.
(Latvijas Jūras administrācijas Hidrogrāfijas dienesta karte Nr.2257), (1.pielikums)
43. Kuģim, izejot vai ienākot Brīvostā, sānsvere nedrīkst pārsniegt 3o un galsvere (diferents) nedrīkst būt lielāka, kā noteikts kuģa noturības informācijā.
IX. Tauvošanās operācijas
44. Kuģim pietauvojoties, uz piestātnes jābūt operatora pārstāvim, kurš atbild par gatavību pieņemt kuģi un norāda precīzu kuģa pietauvošanas vietu. Pietauvošanas trošu skaitu un izvietojumu nosaka kuģa kapteinis, informējot par to loci. Kuģis ar dedveitu, lielāku par 5000 tonnām, nedrīkst izlikt uz vienu poleri vairāk par divām pietauvošanas trosēm.
45. Kuģu pietauvošanas vai attauvošanas laikā celtņu un dzelzceļa sastāvu kustība un jebkādi darbi piestātnē ir aizliegti. Kuģa tauvošanas zonā nepiederošām personām atrasties uz piestātnes aizliegts.
46. Blakus piestātnēs aizliegtas vienlaicīgas pietauvošanas-attauvošanas operācijas.
47. Kuģa pārtauvošana no piestātnes uz citu piestātni vai tā iziešana uz reidu pieļaujama tikai tad, ja uz kuģa ir kapteinis vai vecākais stūrmanis. Avārijas situācijās šīs prasības var neievērot. Tās nav attiecināmas uz ostas palīgkuģiem.
48. Kuģa pārtauvošana izdarāma tikai ar loča un velkoņa palīdzību, ja kuģis ir garāks par 120 m un pārtauvošanas attālums pārsniedz 100 m.
49. Kuģi var tauvot pie cita kuģa borta tikai ar Brīvostas kapteiņa atļauju. Šis noteikums neattiecas uz ostas palīgkuģiem.
50. Uz kuģa ir tāds apkalpes skaits, kāds nepieciešamības gadījumā varētu nodrošināt kuģa pārtauvošanu. Tankkuģiem un sauskravu kuģiem ar bīstamām kravām (1., 4., 7.klases pēc IMDG kodeksa) jābūt gataviem atstāt ostu.
X. Kuģu stāvēšana pie piestātnēm
51. Stāvot pie piestātnes, kuģim jābūt aprīkotam ar drošu, labi apgaismotu trapu, zem kura nostiprina drošības tīklu. Trapa tuvumā jābūt glābšanas riņķim.
52. Stāvot pie piestātnes, krasta komunikācijām kuģis var pieslēgties tikai ar piestātnes operatora (nomnieka, īpašnieka) atļauju.
53. Stāvot pie piestātnes tumšā diennakts laikā, kuģa klājam jābūt labi apgaismotam.
54. Kuģa galvenā dzinēja izvešanai no ekspluatācijas (remontam) jāsaņem atļauja no Brīvostas kapteiņa vai tā pilnvarotas personas.
55. Pēc Brīvostas pārvaldes, Brīvostas kapteiņa vai piestātnes operatora (nomnieka, īpašnieka) pieprasījuma kuģim jāatstāj piestātne un jānostājas no jauna norādītā vietā vai jāatstāj Brīvosta.
56. Stāvot pie piestātnes, mehānismu dzesēšanas sistēmu izvadiem, ja tie atrodas augstāk par piestātni, jābūt aprīkotiem ar aizsargvairogiem.
XI. Kravas un pasažieru operācijas
57. Brīvostas piestātnes ir speciāli aprīkotas noteiktu kravu apstrādei:
57.1. lejamkravu piestātnes – Nr.11, 27, 28, 29, 30, 31, 32, 33, 34, 35A, 36;
57.2. sašķidrinātas gāzes piestātne – Nr.36;
57.3. beramkravu un ģenerālkravu piestātnes – Nr.1, 2, 3, 4, 4A, 5, 7A, 8, 9, 10, 13, 14, 15, 16, 16A, 26, 26A, 26B, 26C, 38;
57.4. pasažieru, kravas-pasažieru operāciju piestātnes – Nr.16, 16A, 17, 18, 19, 20;
57.5. piestātnes ostas palīgkuģiem – Nr.5, 9A, 12, 21, 22, 37, 37A.
58. Kravas, pasažieru vai kādu citu operāciju veikšana piestātnēs, kuras ir paredzētas ostas palīgkuģu stāvēšanai, ir pieļaujama, saņemot Brīvostas pārvaldes atļauju.
59. Kuģi, kuri iekrauj vai izkrauj bīstamās un piesārņojošās lejamkravas vai tiek bunkurēti, gaišā diennakts laikā paceļ signālkarogu “Bravo”, tumšā diennakts laikā ieslēdz visapkārt horizontam redzamu sarkanu signāluguni. Šīs prasības attiecas arī uz kuģiem, kas veic kravas operācijas ar bīstamām kravām iepakojumā (1., 4., 7.klase pēc IMDG kodeksa).
60. Kravas operācijas jūrā, tai skaitā Ventspils ostas enkurvietās, var tikt veiktas saskaņā ar Ministru kabineta 2005.gada 12.jūlija noteikumiem Nr.508 “Noteikumi par Latvijas ūdeņu izmantošanas kārtību un kuģošanas režīmu tajos”.
60.1. Pasažieru un apgādes operācijas, tai skaitā bunkurēšanu, reidā var veikt ar Brīvostas kapteiņa atļauju.
61. Ja stipra vēja ietekmē tankkuģa kustība gar piestātni pārsniedz 2 metrus, tad kravas operācijas pārtrauc. Kravas operācijas ar sašķidrināto amonjaku un šķidriem ķīmiskiem produktiem pārtrauc, ja vēja ātrums ir lielāks par 15 m/sek.
62. Ja kuģim, atrodoties Brīvostā, izlīst (noplūst) naftas vai ķīmiskie produkti uz klāja vai aiz borta, tad:
62.1. nekavējoties pārtrauc kravas operācijas;
62.2. kuģa kapteinis vai krasta darbinieks par noplūdi nekavējoties informē piestātnes vai termināļa operatoru un Brīvostas kapteiņa dienestu, kas veic nepieciešamo pārlējumu likvidācijas koordināciju.
63. Šķidro amonjaku drīkst iekraut tikai tādos kuģos, kuri ir īpaši aprīkoti ar krasta kabelim pievienojamu elektrisko ķēdi, kas aizsargā krasta iekārtas no iespējamiem hidrauliskajiem triecieniem kuģa ātrdarbības vārsta aizvēršanās gadījumā.
64. Uz tankkuģiem pārtrauc kravas operācijas bunkurētājkuģa pietauvošanas vai attauvošanas laikā. Bunkurētājkuģa dūmenis nedrīkst atrasties pret tankkuģa kravas klāju.
65. Kravas operācijas uz kuģiem, kuros iekrauj vai no kuriem izkrauj naftu, naftas produktus, šķidros ķīmiskos produktus un beramkravas, veic tikai tad, ja ir izpildītas visas “kuģa-krasta” kontroles lapas (ships – shore safety check list) prasības un šī “lapa” attiecīgi noformēta.
XII. Kuģošanas ierobežojumi un aizliegumi
66. Kuģa iegrime, kuģim ienākot vai izejot no Brīvostas, kuģu ceļos (fārvateros) un piestātnēs nedrīkst pārsniegt maksimāli pieļaujamo iegrimi (2.pielikums).
67. Kuģa relatīvais ātrums Ventas upē nedrīkst pārsniegt 5 mezglus.
68. Mazie kuģi ar dzinēja jaudu līdz 55 kW vai tilpību līdz 80 BT, kuģojot Brīvostas akvatorijā, nedrīkst traucēt citu kuģu satiksmi.
69. Ienākot vai izejot nedegazētam tankkuģim vai tankkuģim ar kravu, citu kuģu kustība priekšostā un uz kuģu ceļiem (fārvateriem) aizliegta.
70. Kuģiem aizliegts izmest enkurus zemūdens kabeļu, kanalizācijas un ūdensvada dīķeru rajonā, kā arī 100 m uz abām pusēm no tiem. Šajās zonās piestātnēs izliktas attiecīgas brīdinājuma zīmes, kuras ir apgaismotas tumšā diennakts laikā. Šīs zīmes uztur kārtībā šo komunikāciju īpašnieks. Ventas upē ir trīs dīķeru-kabeļu zonas:
70.1. starp piestātnēm Nr.5 un Nr.17;
70.2. starp piestātni Nr.12 un pilsētas krastmalu;
70.3. starp piestātnes Nr.12 iedomāto turpinājumu tilta virzienā un Tilta dārzu.
71. Kuģiem, kas ir garāki par 30 m, apdzīšana Ventas upē un priekšostā aizliegta.
72. Kuģiem aizliegta ieiešana un atrašanās bīstamības zonā, kas noteikta 50 m attālumā no ķīmisko un gāzes kravu piestātnēs stāvošiem kuģiem. Šīs prasības neattiecas uz ostas palīgkuģiem, kas sniedz pakalpojumus šiem kuģiem.
73. Kuģis piestātnē gaitas gatavības pārbaudei dzenskrūvi drīkst darbināt ne ilgāk kā vienu minūti. Šis aizliegums neattiecas uz kuģiem ar grozāmo lāpstiņu dzenskrūvi “0” stāvoklī.
74. Kuģiem, kuri stāv pie piestātnes, aizliegts izgriezt aiz borta kravu strēles un celtņus, ja tie netiek izmantoti kravu operācijām.
75. Intensīvos ledus iešanas apstākļos kuģu satiksme Brīvostā var tikt aizliegta.
76. Pasažieru pārvadāšana Brīvostas akvatorijā atļauta tikai ar speciāli šim nolūkam aprīkotiem kuģiem.
XIII. Kuģa aizturēšana un arests
77. Kuģim liedz iziet no ostas, ja Brīvostas kapteinis ir saņēmis tiesas nolēmumu par kuģa arestu vai Latvijas Jūras administrācijas vai citas normatīvajos aktos noteiktas iestādes lēmumu par kuģa aizturēšanu.
78. Kuģa arests var notikt saskaņā ar 1952.gada Starptautisko konvenciju par noteiktu likumu, kas attiecas uz jūras kuģa arestu, unifikāciju. Ja kuģis ir iesaistīts jūras negadījumā, ir radījis bojājumus ostas īpašumam vai arī radījis piesārņojumu, bet tiesas nolēmumu par kuģa arestu nav iespējams operatīvi saņemt, tad Brīvostas kapteinis var veikt kuģa aizturēšanu līdz šāda lēmuma saņemšanai.
79. Par zaudējumiem, kas radušies, ja kuģa aizturēšana vai arests bijis nepamatots, atbild tās personas, kas pieprasījušas aizturēšanu vai arestu.
XIV. Kuģu formalitātes un ziņošanas kārtība
80. Formalitātes kuģu ienākšanai un iziešanai no Brīvostas reglamentē Ministru kabineta “Noteikumi par kuģu ienākšanas un iziešanas formalitātēm ostā”.
81. Kuģa kapteinis sniedz Brīvostas kapteinim vispārēju informāciju par kuģi vismaz 24 stundas pirms tā pienākšanas reidā. Aģents informē Brīvostas kapteiņa un robežkontroles dienestus ne vēlāk kā 2 stundas pirms kuģa gatavības iziešanai no ostas.
82. Kuģa kapteinis informācijā sniedz šādus datus:
82.1. kuģa vārds, izsaukuma signāls, karogs;
82.2. gaidāmais pienākšanas laiks (datums un stunda);
82.3. kuģa garums un iegrime
82.4. kravas daudzums un nosaukums;
82.5. aģentējošā firma.
83. Visi pasažieru kuģi, pirms iziešanas no Brīvostas, iesniedz ostas kapteiņa dienestam pilnu pasažieru sarakstu 2003.gada 23.decembra Ministru kabineta noteikumos Nr.747 “Kuģu pasažieru reģistrācijas kārtība” noteiktajā formā.
84. Visi kuģi, kuri pārvadā bīstamas un piesārņojošas kravas, ievēro ziņošanas kārtību, kā tas noteikts 2005.gada 9.augusta Ministru kabineta noteikumos Nr.592 “Kārtība, kādā sniedzami ziņojumi par bīstamām un piesārņojošām kuģu kravām”.
85. Ostas valsts kontroles dienesta pārstāvji savas kompetences ietvaros ir tiesīgi pārbaudīt Brīvostā esoša kuģa atbilstību starptautisko konvenciju un Latvijas Republikas normatīvo aktu prasībām. Brīvostas kapteiņa dienesta pārstāvji savas kompetences ietvaros ir tiesīgi pārbaudīt kuģi attiecībā uz šo Noteikumu ievērošanu.
XV. Robežapsardzības, muitas un sanitārais režīms
86. Robežapsardzības un muitas režīmu Brīvostā nosaka Ministru kabineta “Noteikumi par kuģu ienākšanas un iziešanas formalitātēm ostā”.
87. Kuģa aģents informē robežapsardzības, muitas un sanitāros dienestus par kuģu ienākšanu, iziešanu vai pārvietošanu Brīvostas piestātnēs.
88. Sanitāro uzraudzību Brīvostā veic Ventspils Vides veselības centra medicīniski-sanitārās pārbaudes dienests un sanitārā robežinspekcija. Šo dienestu prasības to kompetences ietvaros ir obligātas visiem kuģiem, fiziskajām un juridiskajām personām, kuras darbojas Brīvostā. Par nelabvēlīgu sanitāri epidemioloģisko stāvokli vai slimiem apkalpes locekļiem, vai sanitāri bīstamu kravu kuģa kapteinis ar aģenta starpniecību paziņo sanitārajai robežinspekcijai un Ventspils Vides veselības centram ne vēlāk kā 12 stundas pirms kuģa ienākšanas Brīvostā.
89. Ūdeni no Brīvostas akvatorijas aizliegts lietot kā dzeramo ūdeni. Dzeramo ūdeni kuģis var saņemt no ūdens ņemšanas ietaisēm piestātnēs.
90. Maziem kuģiem un jahtām bez atļaujas aizliegts piestāt pie kuģiem Brīvostā un/vai Brīvostas muitas zonās.
91. Nepieciešamības gadījumā pietauvošanās troses aprīko ar žurku vairogiem, jābūt derīgai deratizācijas apliecībai.
XVI Vides aizsardzība
92. Visi kuģi, kā arī visas juridiskās un fiziskās personas, kas darbojas vai atrodas Brīvostas teritorijā, rīkojas atbilstoši MARPOL 73/78 un HELSINKI-92 prasībām un citu starptautisko un nacionālo normatīvo aktu prasībām vides aizsardzības jomā tādā mērā, kādā uz tiem attiecas minētie normatīvie akti.
93. Brīvostas akvatorijā aizliegts:
93.1. izliet aiz borta ūdeni, ar kuru mazgāts kuģa klājs un kravas telpas;
93.2. mest aiz borta jebkādus atkritumus, kravas paliekas, separāciju;
93.3. krāsojot kuģi, piesārņot Brīvostas akvatoriju ar krāsām;
93.4. lietot kuģa inseneratorus;
93.5. izsūknēt aiz borta mašīntelpu satečūdeņus un kuģa saimnieciskos un notekūdeņus;
93.6. ūdens virsmas attīrīšanai no naftas un tās produktiem izmantot preparātus, kuri izšķīdina vai nogremdē peldošo naftu un tās produktus.
94. Visi kuģi pirms iziešanas jūrā Brīvostā nodod:
94.1. visus uz kuģa radītos atkritumus, kurus aizliegts novadīt Baltijas jūrā saskaņā ar MARPOL 73/78 un HELSINKI-92;
94.2. kravas pārpalikumus kravas tilpnēs, kas pēc kravas izkraušanas paliek pāri un ir jāizvāc, ieskaitot kravas pārsegumus, balstus, paliktņus, apšuvuma un iesaiņojuma materiālus, saplāksni, papīru, kartonu, stiepļu un lenšu stiegrojumus.
95. Sausajiem atkritumiem jābūt sašķirotiem atbilstoši kuģa atkritumu plānam. Izejot no ostas, atkritumu daudzums uz kuģa nedrīkst pārsniegt 25% no to uzglabāšanas tilpņu vai konteineru ietilpības.
96. Kuģus, kuri veic regulārus vai īsus reisus (prāmji, zvejas kuģi), var atbrīvot no šo Noteikumu 95.punkta prasībām. Šajā gadījumā kuģa kapteinis Brīvostas kapteiņa dienestā iesniedz ziņas par:
96.1. ostu, kurā kuģis nodod atkritumus;
96.2. reisu ilgumu;
96.3. atkritumu uzkrāšanas tilpņu vai konteineru ietilpību.
97. Kuģi ar sprāgstvielām (1.klase pēc IMDG kodeksa), saspiestām gāzēm (2.klase pēc IMDG kodeksa) un radioaktīvajām vielām (7.klase pēc IMDG kodeksa) Brīvostā var ienākt ar Brīvostas pārvaldes un vides aizsardzības institūciju atļauju.
98. Ja, veicot kravas operācijas, tiek pārsniegtas pieļaujamās vides piesārņojuma normas, tad kraušanas intensitāti samazina līdz apjomam, līdz šīs normas tiek ievērotas.
99. Kuģi, atrodoties Brīvostā, drīkst izmantot tikai tās tualetes, kurām ierīkotas slēgtās notekūdeņu uzkrāšanas tvertnes vai bioloģiskās attīrīšanas sistēmas.
100. Peldēšanās un rūpnieciskā zveja Brīvostas akvatorijā ir aizliegta. Makšķerēšana atļauta saskaņā ar attiecīgajiem normatīvajiem aktiem.
101. Piestātņu un termināļu operatori (nomnieki, īpašnieki) veic saimniecisko darbību saskaņā ar Ventspils domes izdoto vides aizsardzības licenci.
XVII. Ugunsdrošības režīms
102. Visas fiziskās un juridiskās personas, kas darbojas vai atrodas Brīvostas teritorijā, ievēro 1997.gada 30.decembra Ministru kabineta noteikumu Nr.440 “Ugunsdrošības noteikumi” prasības. Par ugunsdrošību katrā Brīvostas terminālī un piestātnē atbild šī termināļa vai piestātnes operators (nomnieks, īpašnieks).
103. Uz kuģiem, kuri atrodas Brīvostas akvatorijā, par ugunsdrošību atbild un prasību, kādas noteiktas SOLAS 74/78 un 1998.gada 15.jūlija Satiksmes ministrijas noteikumos Nr.43 “Latvijas Republikas kuģu ugunsdrošības noteikumi”, izpildi nodrošina kuģa kapteinis.
104. Konstatējot ugunsgrēku uz kuģa, piestātnē vai terminālī, kuģa sardze vai persona, kas to atklājusi:
104.1. izsludina trauksmi;
104.2. informē piestātnes vai termināļa operatoru (nomnieku, īpašnieku), ostas kontroles dienestu;
104.3. izsauc termināļa un pilsētas ugunsdzēsēju komandas (pa tālruni 01 vai 112);
104.4. uzsāk dzēšanu ar visiem iespējamiem līdzekļiem.
105. Piestātnes vai termināļa operators (nomnieks, īpašnieks) vada ugunsdzēšanas darbus piestātnē vai terminālī līdz ugunsdzēsēju komandas ierašanās brīdim. Uz kuģa ugunsdzēšanas darbus vada kuģa kapteinis.
106. Izceļoties ugunsgrēkam Brīvostas teritorijā, kuģim jābūt gatavam atstāt bīstamo rajonu.
107. Bunkurēšanas operāciju veikšanai jāievēro apakšpunktos minētie nosacījumi.
107.1 Vienlaicīgi ar kravas vai balasta operācijām var bunkurēt:
107.1.1. sauskravas kuģus jebkurā piestātnē no bunkurētājkuģa;
107.1.2. naftas un naftas produktu tankkuģus no krasta stacionārās sistēmas vai bunkurētājkuģa;
107.2. gāzes un ķīmijas tankkuģus var bunkurēt tikai no bunkurētājkuģa līdz kravas operāciju veikšanai vai pēc tās.
107.3. No autocisternām var tikt bunkurēti:
ostas palīgkuģi piestātnēs Nr.5 un 16A;
pasažieru un kravas-pasažieru kuģi piestātnēs Nr.16, 16A, 17;
starptautisko buru kuģu regašu un jūras spēku mācībās iesaistītie kara kuģi piestātnēs Nr.19, 20, 21, 22, 23, 24.
108. Ugunsdrošības apsvērumu dēļ tankkuģi tiek pietauvoti ar priekšgalu uz izeju no Brīvostas. Visi tankkuģi, kuri atrodas Brīvostas akvatorijā, un termināļi, kas tos apkalpo, ievēro ISGOTT rekomendācijas.
109. Īslaicīgu uguns darbu veikšanai uz kuģa, tā kapteinis saņem Brīvostas kapteiņa un piestātnes operatora atļauju.
110. Jebkādi ugunsbīstami darbi aizliegti:
110.1. uz kuģiem lejamkravu rajonā;
110.2. uz kuģiem ar bīstamām kravām (1., 2., 3., 4., 5., 6., 7., 8., 9.klase pēc IMDG koda);
110.3. uz piestātnes, ja pie tās atrodas kuģis.
XVIII. Būvju un iekārtu aizsardzība
111. Darbus, kas saistīti ar zemūdens kabeļiem, komunikācijām un hidrotehniskām būvēm, veic tikai ar Brīvostas pārvaldes un Brīvostas kapteiņa atļauju.
112. Pēc remonta atļauts izmēģināt galvenos dzinējus ar pieslēgtu dzenskrūvi, iepriekš saskaņojot to ar piestātnes operatoru (nomnieku, īpašnieku) un Brīvostas kapteiņa dienestu. Šī darbība nedrīkst traucēt citus kuģus, kuri atrodas Brīvostā.
XIX. Padziļināšanas darbi
113. Padziļināšanas darbus Brīvostas akvatorijā veic tikai ar Brīvostas pārvaldes un Valsts Vides dienesta Jūras un Iekšējo ūdeņu pārvaldes atļauju.
114. Padziļināšanas kuģi un gruntsvedējkuģi, kuri strādā Brīvostas akvatorijā, dod ceļu kuģiem, kuri ienāk vai iziet no Brīvostas.
115. Uz padziļināšanas kuģiem, kuri strādā Brīvostas akvatorijā, ir jābūt paceltām zīmēm vai ieslēgtām signālugunīm saskaņā ar COLREG-72 prasībām.
116. Ja padziļināšanas kuģim vienlaicīgi tuvojas divi kuģi no pretējām pusēm, priekšroka dodama kuģim, kurš virzās uz izeju no Brīvostas.
117. Padziļināšanas kuģis darbības laikā Brīvostas akvatorijā operatīvi ziņo KSD trošu un enkuru izvietojumu. Padziļināšanas kuģim vienmēr jābūt gatavam atlaist vai ievilkt troses, lai netraucētu citu kuģu kustību.
XX. Caurlaižu režīms
118. Brīvostā ir caurlaižu režīma un brīva režīma teritorijas. Caurlaižu režīma vispārējo kārtību nosaka Brīvostas pārvalde.
119. Personas un sauszemes transportlīdzekļi iekļūst Brīvostas caurlaižu režīma teritorijās un izkļūst no tām tikai caur speciāli iekārtotiem caurlaižu punktiem.
120. Kuģu apkalpes locekļi un to apmeklētājus ielaiž Brīvostas caurlaižu režīma teritorijās un izlaiž atbilstoši caurlaides punktā iesniegtajiem robežsardzes apstiprinātiem apkalpju, pasažieru un to piederīgo sarakstiem, uzrādot personu apliecinošu dokumentu.
121. Ieejot un atrodoties caurlaižu režīma teritorijās, ikvienai personai ir jābūt personu apliecinošam dokumentam, kā arī caurlaidei vai darbinieka apliecībai, ko uzrāda pēc teritorijas apsardzes, robežkontroles, policijas vai muitas pārstāvju pieprasījuma.
122. Autotransporta kustība Brīvostas caurlaižu režīma teritorijās notiek tikai ar operatora (nomnieka, īpašnieka) izsniegtu caurlaidi.
XXI. Ostas maksas
123. Ostas maksu robežlīmeņus nosaka Ventspils Brīvostas pārvalde. Maksām par pakalpojumiem maksimālos robežlīmeņus nosaka konkrētais saimnieciskās darbības veicējs, tos apstiprinot Brīvostas pārvaldē.
124. Brīvostā ir noteiktas:
124.1. ostas maksas:
124.1.1. tonnāžas maksa;
124.1.2. kanāla maksa;
124.1.3. kravas maksa;
124.1.4. loču maksa;
124.1.5. sanitārā maksa;
124.1.6. mazo kuģu maksa;
124.2. maksas par šādiem pakalpojumiem:
124.2.1. tauvošanas darbu izpildi;
124.2.2. velkoņu izmantošanu;
124.2.3. ugunsdzēsēju pakalpojumiem;
124.2.4. dzeramā ūdens piegādi;
124.2.5. ostas peldošo līdzekļu izmantošanu;
124.2.6. piesārņotā balasta pieņemšanu;
124.2.7. kravas tanku mazgājamo ūdeņu pieņemšanu;
124.2.8. cieto ar naftu un naftas produktiem piesārņoto atkritumu pieņemšanu, ja tie radušies saistībā ar kuģa kravu vai kravas telpām.
124.2.9. citi maksas pakalpojumi.
125. Visi kuģi, kas apmeklē Brīvostu, veic maksu par navigācijas pakalpojumiem saskaņā ar Likumu par ostām un 2001.gada 5.decembra Satiksmes ministrijas noteikumiem Nr.37 “Noteikumi par maksas par navigācijas pakalpojumiem aprēķināšanas un iekasēšanas kārtību”.
126. Kuģis pirms iziešanas no Brīvostas, izņemot gadījumus, kad līgums starp Brīvostas pārvaldi un Aģentu paredz citu samaksas kārtību, samaksā visas Brīvostas maksas.
XXII. Brīvostas kapteinis
127. Brīvostas kapteiņa rīkojumi, kas saistīti ar kuģošanas drošības pasākumiem, ir obligāti visiem kuģiem, organizācijām, komercsabiedrībām, kā arī citām juridiskajām un fiziskajām personām Brīvostā.
128. Brīvostas kapteinis ir tiesīgs likt kuģim atgriezties Brīvostā un aizturēt to līdz apstākļu noskaidrošanai, ja kuģis izgājis jūrā bez Brīvostas kapteiņa dienesta atļaujas.
129. Brīvostas kapteinis vada ostas akvatorijā notikušo avāriju un kritisko situāciju seku novēršanas operācijas, veic jūras negadījuma sākotnējo izmeklēšanu, liecību un dokumentu iegūšanu.
130. Brīvostas kapteinim ir tiesības izskatīt administratīvo pārkāpumu lietas un uzlikt naudas sodus saskaņā ar Latvijas Republikas administratīvo pārkāpumu kodeksu.
XXIII. Sakari
131. Kuģiem, kuri atrodas Brīvostas akvatorijā, jānodrošina nepārtraukti radiosakari pa UĪV radiostacijas sekojošiem kanāliem, ja kuģis:
131.1. atrodas reidā uz enkura – 9. un 16.kanāls;
131.2. ir gaitā Brīvostas akvatorijā – 9.kanāls;
131.3. atrodas pie piestātnes un nav nodrošināts ar telefona sakariem – 9. un 16.kanāls.
132. Brīvostas teritorijas robežās darbojas šādas licenzētas UĪV radiostacijas:
|
Nr. |
Radiostacijas |
Kanāli |
|
1. |
Kuģu satiksmes dienests “Ventspils kuģu satiksme” |
9, 16, 67 |
|
2. |
Brīvostas kontrole “Ventspils Ostas kontrole” |
9, 16, 30 |
|
3. |
Velkoņi “Ventspils Radio 6” |
9, 33 |
|
4. |
Ventbunkers “Ventspils 93” |
37 |
|
5. |
Ventamonjaks “Ventspils 91” |
67 |
|
6. |
Kuģošanas atbalsta dienests “Ventspils Radio 20” |
9, 29 |
|
7. |
Krasta matroži “Raita-4”, “Raita-5” |
9, 30 |
|
8. |
Avārijas un glābšanas dienests “Krasta apsardze” |
16, 9, 63 |
|
9. |
Robežapsardzība “Tornis7” |
9, 11, 16 |
|
10. |
Muita “Ventspils Muita” |
12 |
|
11. |
Jūras un iekšējo ūdeņu pārvalde “Ventspils Radio 19” |
35 |
XXIV. Papildu nosacījumi
133. Visi kuģi un uzņēmumi (komercsabiedrības), organizācijas, juridiskās un fiziskās personas, kas atrodas vai darbojas Brīvostā, bez šajos Noteikumos minētajiem Latvijas Republikas un starptautiskajiem normatīvajiem aktiem ievēro:
133.1. Starptautiskās Jūrniecības organizācijas Rekomendācijas drošai bīstamo kravu transportēšanai un ar to saistītajām aktivitātēm ostās (IMO Recommendations on the Safe Transport of Dangerous Cargoes and Related Activities in Port Areas (IMO – 290E, 1995);
133.2. Starptautiskās Jūrniecības organizācijas Kravu drošas kraušanas un nostiprināšanas kodekss (IMO Code of Safe Practice for Cargo Stowage and Securing (IMO – 292E, 1992)) un 1994./1995.gada Labojumi kodeksam (1994/1995 Amendments to the Code IMO – 295E, 1995));
133.3. Ro-ro terminālu droša darbība, 1997.gads. (ICHCA Safe Operation of Ro-ro Terminals, 1997);
133.4. Droša darbība uz konteineru kuģiem, 1998.gads. (ICHCA Safe Working on Container Ships, 1998);
133.5. Cieto masveida kravu iekraušana un izkraušana, 1998.gads. (ICHCA The Loading and Unloading of Solid Bulk Cargoes, 1998);
133.6. Starptautiskās Jūrniecības organizācijas/ Starptautiskās Darba organizācijas/ ANO Eiropas ekonomisko lietu komitejas Vadlīnijas kravas transporta vienību iepakošanai (IMO/ ILO/ UN ECE Guidelines for Packing of Cargo Transport Units (CTUs) (IMO – 284E, 1997));
133.7. Starptautiskās Ostu asociācijas Bīstamas kravas un Ostas vide (IAPH Dangerous Goods and Port Environment);
133.8. Starptautisko kuģu un ostu iekārtu aizsardzības kodeksu (ISPS kodekss – International code for the security of ships and of port facilities – ISPS code).
XXV. Atbildība par Brīvostas Noteikumu neievērošanu
134. Jebkura juridiskā vai fiziskā persona, kas darbojas vai uzturas Brīvostā, ir atbildīga par šo Noteikumu ievērošanu saskaņā ar spēkā esošiem normatīviem aktiem. Noteikumu izpildi pārrauga Ventspils Brīvostas pārvalde.
135. Ja kuģis, stāvēdams Brīvostā, kļūst bīstams Brīvostas būvēm, navigācijas iekārtām, citiem kuģiem vai apkārtējai videi un cilvēkiem, vai neievēro šos Noteikumus, to var izraidīt no Brīvostas. Ar izraidīšanu saistītās ostas maksas sedz kuģa īpašnieks.
136. Brīvostas pārvalde, fiziskās vai juridiskās personas, kas darbojas Brīvostā, nav atbildīgas par jebkuras citas juridiskas vai fiziskas personas darbības vai bezdarbības rezultātiem un ir tiesīgas panākt kompensāciju par jebkuriem radītajiem zaudējumiem saskaņā ar Civillikumu, likumu “Jūras kodekss” un citiem spēkā esošajiem normatīvajiem aktiem.
XXVI. Noslēguma jautājumi
137. Ventspils brīvostas Noteikumi stājas spēkā 2006.gada 1.janvārī.
138. Ar šo Noteikumu spēkā stāšanos spēku zaudē 2001.gada 13.septembra Satiksmes ministrijas Noteikumi Nr.24 “ Ventspils brīvostas noteikumi”.
Ventspils pilsētas domes priekšsēdētājs A.Lembergs
Ventspils brīvostas Noteikumi
Pielikums Nr.1
Ventspils brīvostas Noteikumi
Pielikums Nr.2
* Piezīme: visu piestātņu pieļaujamām iegrimēm ir operatīvs raksturs un jāvadās no Brīvostas kapteiņa pēdējā paziņojuma par maksimāli iespējamo iegrimi.
Šķērssvītra piestātņu dziļumos un pieļaujamās iegrimēs nozīmē kuģa pietauvošanos, pielietojot pontonus (6 m).
Lietoto saīsinājumu atšifrējums:
VTO – AS “Ventspils Tirdzniecības Osta”
BJT – SIA “Baltic Juice Terminal”
VGT – SIA “Ventspils Grain Terminal”
NNVT – SIA “Noord Natie Ventspils Terminals”
VBOP – Ventspils brīvostas pārvalde
BMGS – AS “BMGS”
VZO – SIA “Ventspils Zvejas Osta”