
Ministru kabineta rīkojums Nr.269
Rīgā 1999.gada 2.jūnijā (prot. Nr. 29, 9.§)
Par nekustamā īpašuma Rīgā, Piedrujas ielā 5, aglabāšanu valsts īpašumā
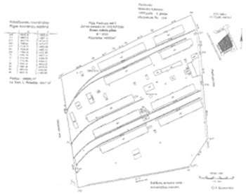
1. Saglabāt valsts īpašumā un nodot Iekšlietu ministrijas valdījumā nekustamo īpašumu — zemesgabalu 149550 m2 platībā (zemes kadastra Nr.01001212081), piecas administratīvās ēkas ((liters Nr.11, 16, 18, 22, 38), veikala ēku (liters Nr.13), noliktavas (liters Nr.1, 2, 3, 4, 5, 6, 7, 8, 9, 20, 30, 31, 33), garāžas (liters Nr.17, 19, 26, 40, 51, 52, 53, 54, 55, 56, 57, 58, 59, 60, 61, 62, 63, 64, 65, 66, 67, 68, 69, 70, 71, 72, 73, 74, 75), darbnīcas (liters Nr.21, 23, 24, 25, 27, 32), saimniecības un ražošanas ēkas (liters Nr.10, 12, 14, 15, 28, 29, 34, 35, 36, 37, 39, 41, 42, 43, 44, 45, 46, 47, 48, 49, 50) — Rīgā, Piedrujas ielā 5. Zemesgabala robežas norādītas pielikumā.
2. Iekšlietu ministrijai pārņemt šī rīkojuma 1.punktā minēto nekustamo īpašumu no pašreizējā valdītāja — Finansu ministrijas — un noteiktā kārtībā ierakstīt zemesgrāmatā uz valsts vārda Iekšlietu ministrijas personā.
Ministru prezidents V.Krištopans
Iekšlietu ministra vietā — aizsardzības ministrs Ģ.V.Kristovskis