
Precizēts 04.09.1996., Latvijas Vēstnesis Nr.148 (633)
Ministru kabineta rīkojums Nr. 261
Rīgā 1996.gada 4.jūlijā (prot. nr. 34 20.§)
Par nekustamā īpašuma Rīgā, 13.janvāra ielā 3, pārdošanu
1. Saskaņā ar likumu "Par valsts un pašvaldību mantas atsavināšanas kārtību" (Latvijas Vēstnesis, 1995, 66.nr.) un likumu "Par zemes reformu Latvijas Republikas pilsētās" (Latvijas Republikas Augstākās Padomes un Valdības Ziņotājs, 1991, 49./50.nr.; Latvijas Vēstnesis, 1994, 47., 145.nr.; 1995, 169.nr.; 1996, 5.nr.) atļaut valsts akciju sabiedrībai "Valsts nekustamā īpašuma aģentūra" pārdot atklātā izsolē nekustamo īpašumu Rīgā, 13.janvāra ielā 3, kas ierakstīts zemesgrāmatā uz valsts vārda Finansu ministrijas personā:
1.1. par latiem - ēkas un būves;
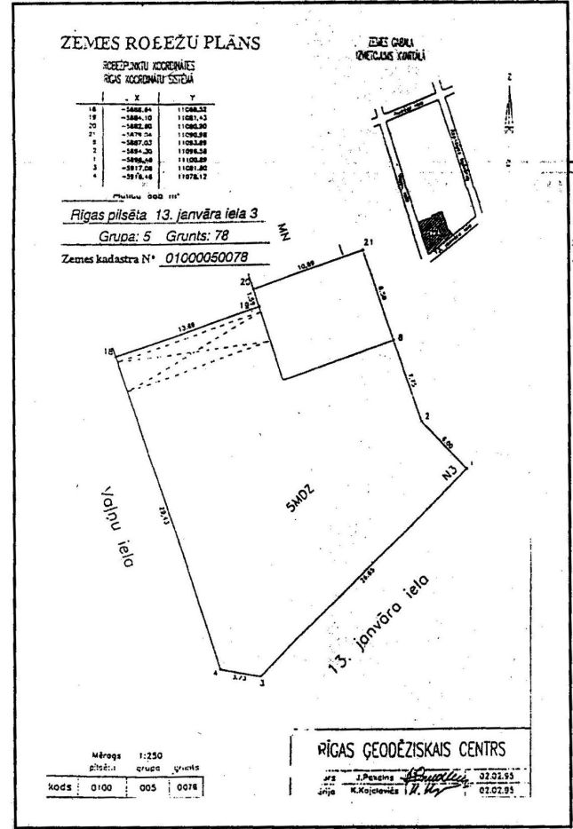
1.2. par īpašuma kompensācijas sertifikātiem (1% no zemes kadastrālās vērtības) un latiem (99% no zemes kadastrālās vērtības) - zemes gabalu 685 m2 kopplatībā (zemes kadastra nr.01000050078) pielikumā norādītajās robežās.
2. Noteikt, ka šī rīkojuma 1.2.apakšpunktā minētā zemes gabala izmantošanas mērķis ir šī rīkojuma 1.1.apakšpunktā minēto ēku un būvju uzturēšana.
3. Šī rīkojuma 1.punktā minētā nekustamā īpašuma pirkuma līgumā paredzēt nosacījumu, ka pircējam jāatdala pārdodamā nekustamā īpašuma inženierkomunikācijas no nekustamā īpašuma Rīgā, Vaļņu ielā 32, inženierkomunikācijām.
4. Šī rīkojuma 1.punktā minētā nekustamā īpašuma pirkuma līgumu parakstīt finansu ministram.
5. Līdzekļus, kas iegūti, pārdodot šī rīkojuma 1.1.apakšpunktā minētās ēkas un būves, pēc tam, kad atskaitīti hipotekārie maksājumi, ieskaitīt valsts budžetā, bet līdzekļus, kas iegūti, pārdodot šī rīkojuma 1.2.apakšpunktā minēto zemes gabalu, ieskaitīt privatizācijas fondā likumā "Par valsts un pašvaldību īpašuma privatizācijas fondiem" (Latvijas Republikas Augstākās Padomes un Valdības Ziņotājs, 1993, 1./2.nr.; Latvijas Vēstnesis, 1994, 28.nr.; 1996, 5., 64.nr.) noteiktajā kārtībā.
6. Līdzekļus, kas iegūti, pārdodot šī rīkojuma 1.punktā minēto nekustamo īpašumu, novirzīt Latvijas Nacionālās operas rekonstrukcijai izlietoto kredītu samaksai.
Ministru prezidents A.Šķēle
Finansu ministrs A.G.Kreituss