
Precizēts 17.06.2008., Latvijas Vēstnesis Nr.93 (3877)
Ministru kabineta noteikumi Nr.350
Rīgā 2008.gada 19.maijā (prot. Nr.31 20.§)
Satiksmes ministra vietā – bērnu un ģimenes lietu ministrs A.Baštiks
Ministru kabineta
2008.gada 19.maija noteikumiem Nr.350
Ministru kabineta
2008.gada 19.maija noteikumiem Nr.350
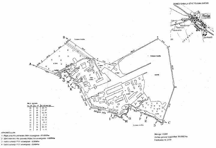
1.tabula
|
Robežpunktu apzīmējumi |
Robežu apraksts |
|
A–B |
Valsts akciju sabiedrības “Latvijas valsts meži” zeme |
|
B–C |
Valsts rezerves zeme |
|
C–D |
Rojas pagasta pašvaldības zeme |
|
D–E |
Saimniecības Bangas ielā 2 zeme |
|
E–F |
Saimniecības Bangas ielā 1 zeme |
|
F–G |
Saimniecības Selgas ielā 7 zeme |
|
G–H |
Saimniecības Selgas ielā 5 zeme |
|
H–I |
Valsts akciju sabiedrības “Latvijas Valsts ceļi” zeme |
|
I–J |
Saimniecības Selgas ielā 1a zeme |
|
J–K |
Valsts akciju sabiedrības “Latvijas Valsts ceļi” zeme |
|
K–L |
Saimniecības Jūras ielā 2 zeme |
|
L–M |
Saimniecības Jūras ielā 4 zeme |
|
M–N |
Saimniecības Jūras ielā 6 zeme |
|
N–O |
Saimniecības Jūras ielā 8 zeme |
|
O–A |
Valsts akciju sabiedrības “Latvijas Valsts ceļi” zeme |
2.tabula
|
Robežpunktu numuri |
Robežu apraksts |
|
1–5 |
Pa meža kvartāla stigu |
|
5–7 |
Pa Rīgas jūras līča krastu |
|
7–8 |
Pa Ziemeļrietumu molu |
|
8–9 |
Pa ostas vārtiem |
|
9–11 |
Pa Dienvidaustrumu molu |
|
11–19 |
Pa Mazupītes labā krasta nogāzes augšmalu |
|
19–24 |
Pa Selgas ielu |
|
24–25 |
Pa tiltu pār Rojas upi |
|
25–27 |
Pa Jūras ielu |
|
27–31 |
Pa saimniecības Jūras ielā 2 robežu |
|
31–34 |
Pa Jūras ielu |
|
34–38 |
Pa saimniecības Jūras ielā 8 robežu |
|
38–1 |
Pa Jūras ielu |
Ministru kabineta
2008.gada 19.maija noteikumiem Nr.350
|
Nr. |
X koordināta |
Y koordināta |
|
1 |
2 |
3 |
|
1. |
374670.415 |
427751.802 |
|
2. |
374709.452 |
427803.697 |
|
3. |
374795.263 |
427914.630 |
|
4. |
374863.925 |
428011.184 |
|
5. |
374893.683 |
428045.157 |
|
6. |
374713.576 |
428296.127 |
|
7. |
374677.132 |
428407.419 |
|
8. |
374896.970 |
428844.451 |
|
9. |
374820.899 |
428938.521 |
|
10. |
374467.366 |
428993.427 |
|
11. |
374171.370 |
428881.981 |
|
12. |
374157.487 |
428876.731 |
|
13. |
374185.885 |
428836.835 |
|
14. |
374208.797 |
428809.023 |
|
15. |
374231.836 |
428747.192 |
|
16. |
374249.169 |
428701.790 |
|
17. |
374287.408 |
428588.652 |
|
18. |
374232.821 |
428542.639 |
|
19. |
374206.105 |
428511.289 |
|
20. |
374231.636 |
428469.668 |
|
21. |
374250.362 |
428475.803 |
|
22. |
374249.776 |
428458.445 |
|
23. |
374265.687 |
428402.796 |
|
24. |
374297.395 |
428236.334 |
|
25. |
374446.218 |
428151.988 |
|
26. |
374478.520 |
428148.403 |
|
27. |
374512.027 |
428098.893 |
|
28. |
374530.639 |
428158.894 |
|
29. |
374552.534 |
428159.220 |
|
30. |
374569.051 |
428148.717 |
|
31. |
374530.836 |
428110.413 |
|
32. |
374556.520 |
428080.820 |
|
33. |
374562.235 |
428069.115 |
|
34. |
374589.781 |
428041.780 |
|
35. |
374596.811 |
428048.093 |
|
36. |
374635.569 |
428004.579 |
|
37. |
374611.606 |
427957.570 |
|
38. |
374571.139 |
427965.939 |